 Aud Tava MNHN Plomb Creek, Sinnamary, French Guiana.jpg)
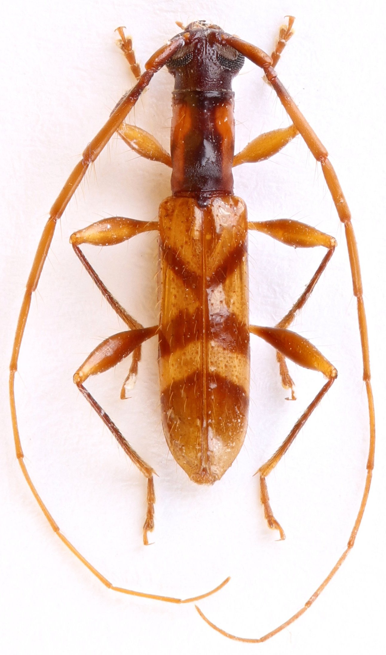
Specimen Type: holotype Sex: m Institution: MNHN Museum of Natural History Paris, France Photographer: Alain Audureau Collection Location: Plomb Creek, Sinnamary, French Guiana 102684
|
 Aud Tava MNHN Plomb Creek, Sinnamary, French Guiana.jpg)
Specimen Type: holotype Sex: m Institution: MNHN Museum of Natural History Paris, France Photographer: Alain Audureau Collection Location: Plomb Creek, Sinnamary, French Guiana 102685
|