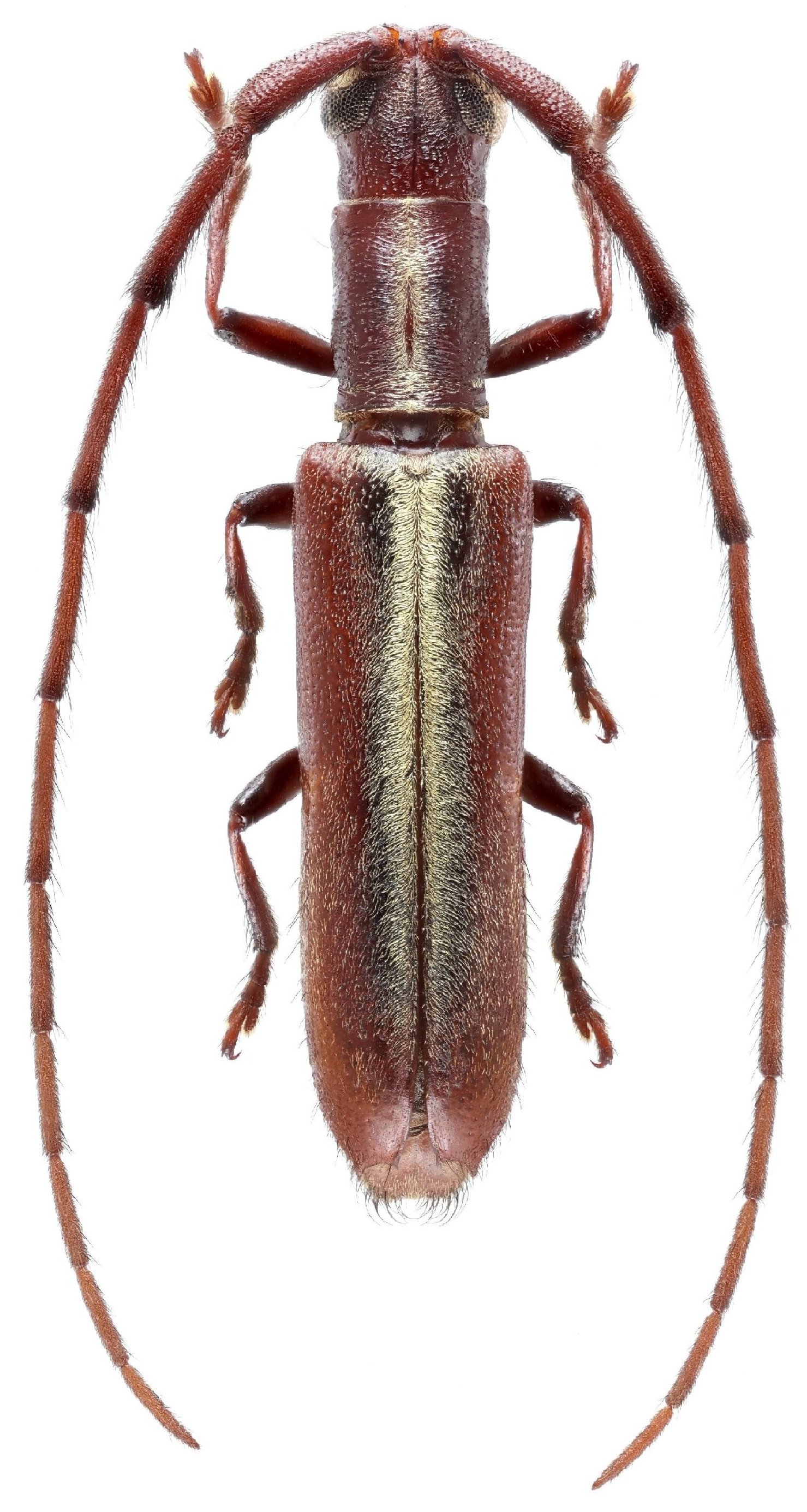
 Dalens Robin MNHN Trinite, Mt Tabulaire FR.jpg)
Specimen Type: holotype Sex: m Institution: MNHN Museum of Natural History Paris, France Photographer: Frédéric Robin Collection Location: Mt Tabulaire, Réserve Naturelle Nationale de La Trinité, French Guiana 102736
|
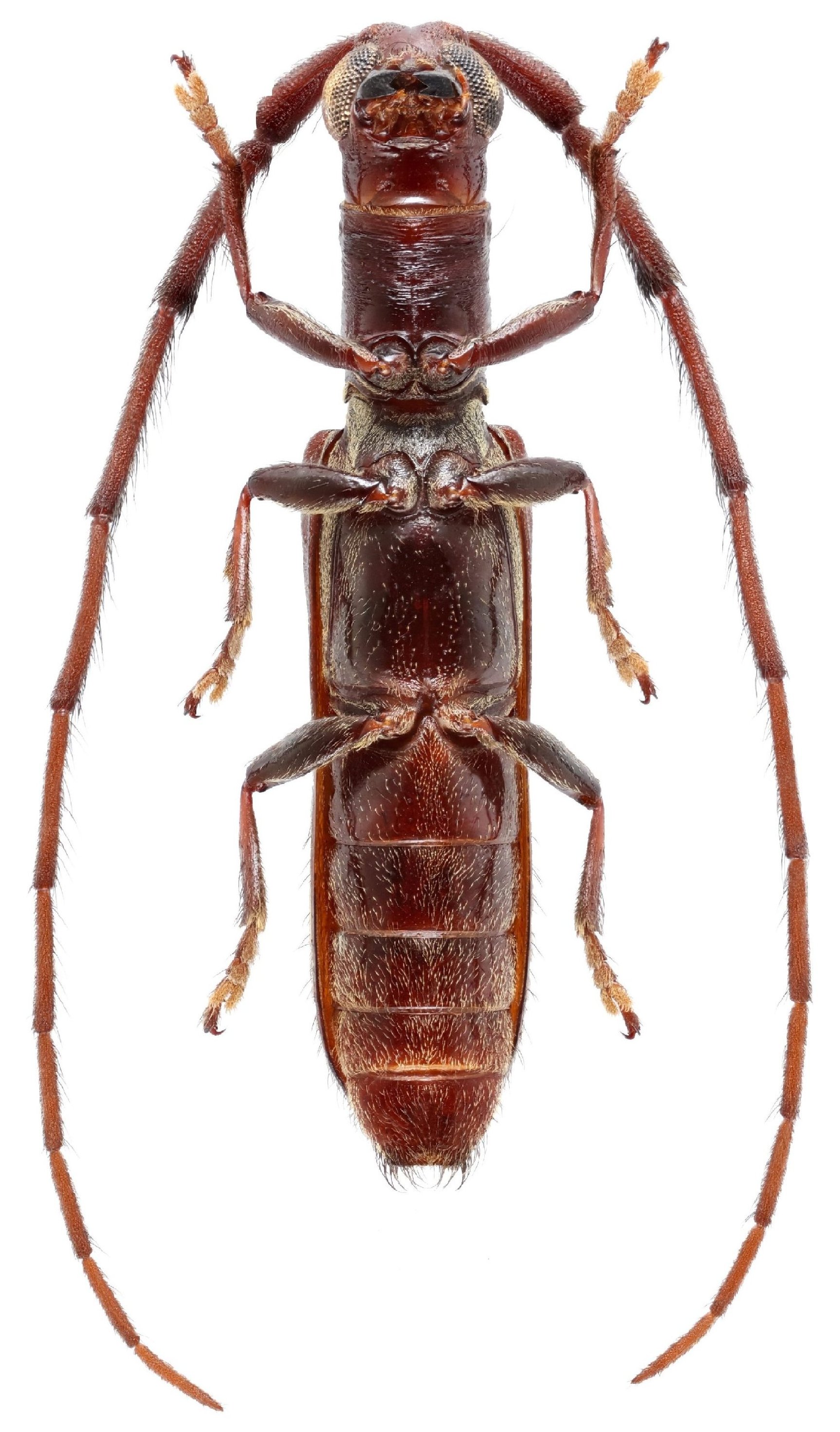
 Dalens Robin MNHN Trinite, Mt Tabulaire FR.jpg)
Specimen Type: holotype Sex: m Institution: MNHN Museum of Natural History Paris, France Photographer: Frédéric Robin Collection Location: Mt Tabulaire, Réserve Naturelle Nationale de La Trinité, French Guiana 102737
|
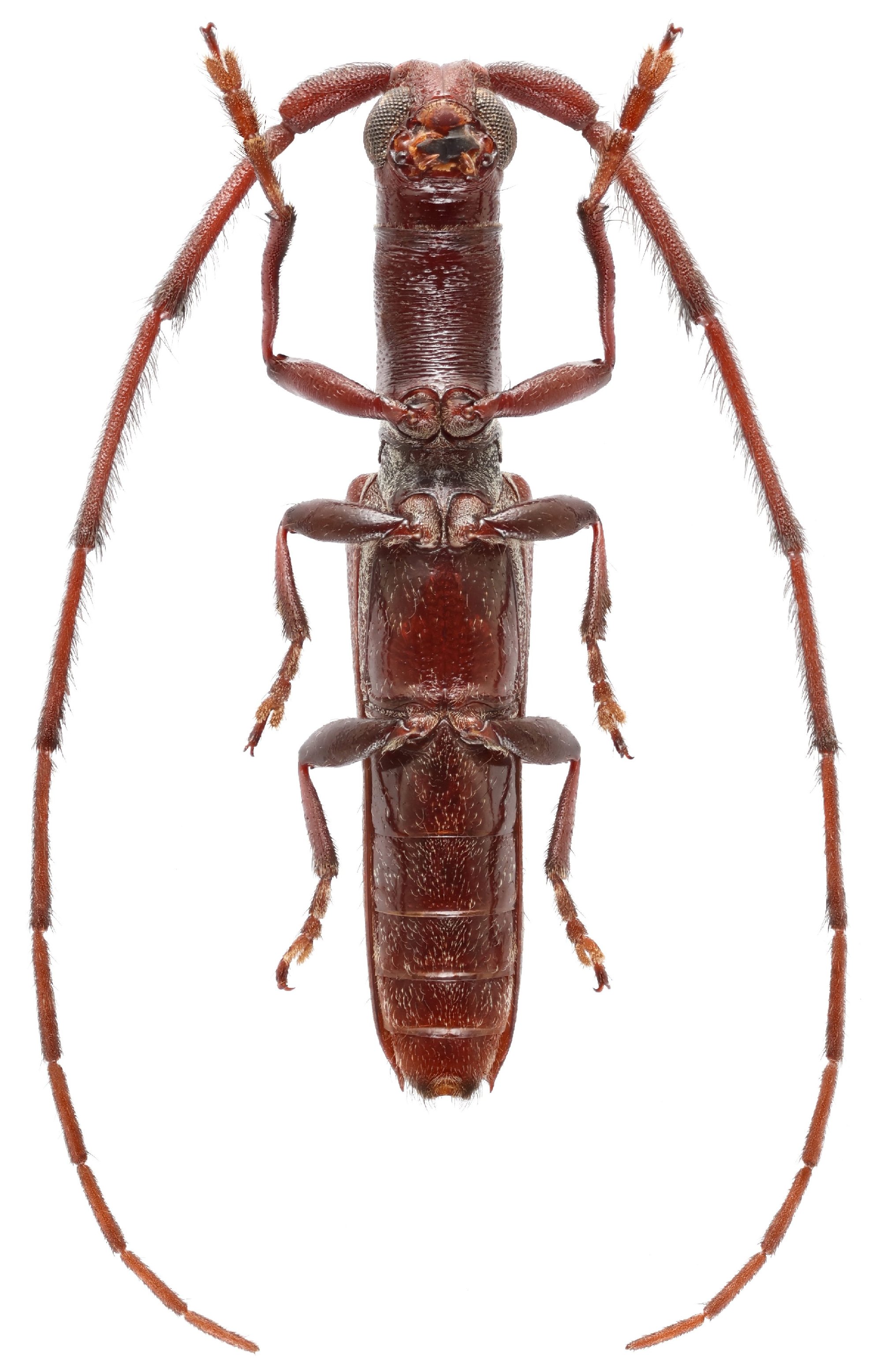
 Dalens Robin MNHN Trinite, Mt Tabulaire FR.jpg)
Specimen Type: holotype Sex: m Institution: MNHN Museum of Natural History Paris, France Photographer: Frédéric Robin Collection Location: Mt Tabulaire, Réserve Naturelle Nationale de La Trinité, French Guiana 102738
|
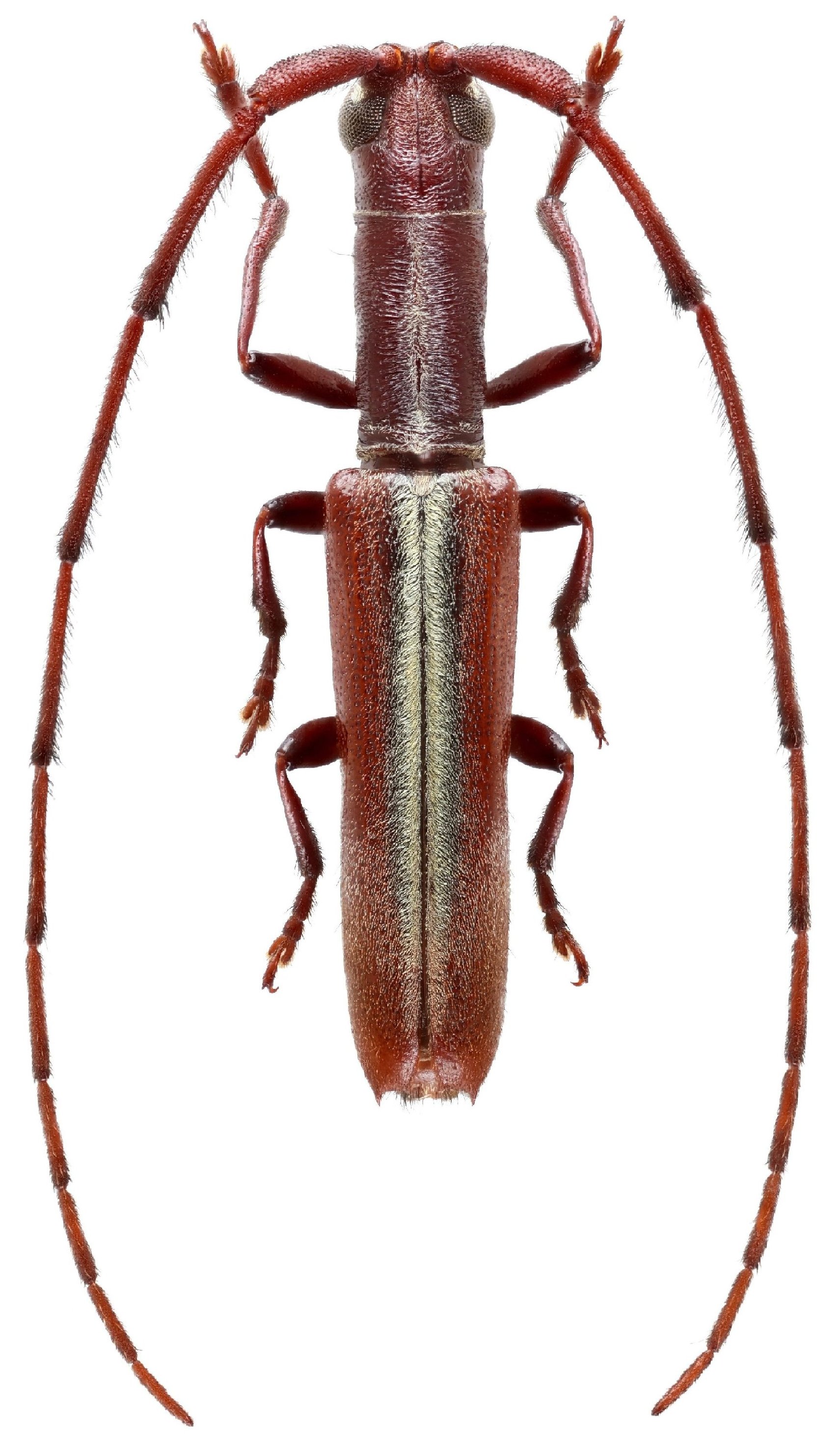
 Dalens Robin MNHN Trinite, Mt Tabulaire FR.jpg)
Specimen Type: holotype Sex: m Institution: MNHN Museum of Natural History Paris, France Photographer: Frédéric Robin Collection Location: Mt Tabulaire, Réserve Naturelle Nationale de La Trinité, French Guiana 102739
|
 Dalens Robin Coll Korou, Mt de Peres FR.jpg)
Specimen Type: paratype Sex: f Institution: Robin Collection Photographer: Frédéric Robin Collection Location: Montagne des Pères, Kourou, French Guiana 102740
|
 Dalens Robin Coll Korou, Mt de Peres FR.jpg)
Specimen Type: paratype Sex: f Institution: Robin Collection Photographer: Frédéric Robin Collection Location: Montagne des Pères, Kourou, French Guiana 102741
|
 Dalens Robin Coll Korou, Mt de Peres FR.jpg)
Specimen Type: paratype Sex: f Institution: Robin Collection Photographer: Frédéric Robin Collection Location: Montagne des Pères, Kourou, French Guiana 102742
|
-vent Dalens Robin Coll Korou, Mt de Peres FR.jpg)
Specimen Type: paratype Sex: f Institution: Robin Collection Photographer: Frédéric Robin Collection Location: Montagne des Pères, Kourou, French Guiana 102743
|