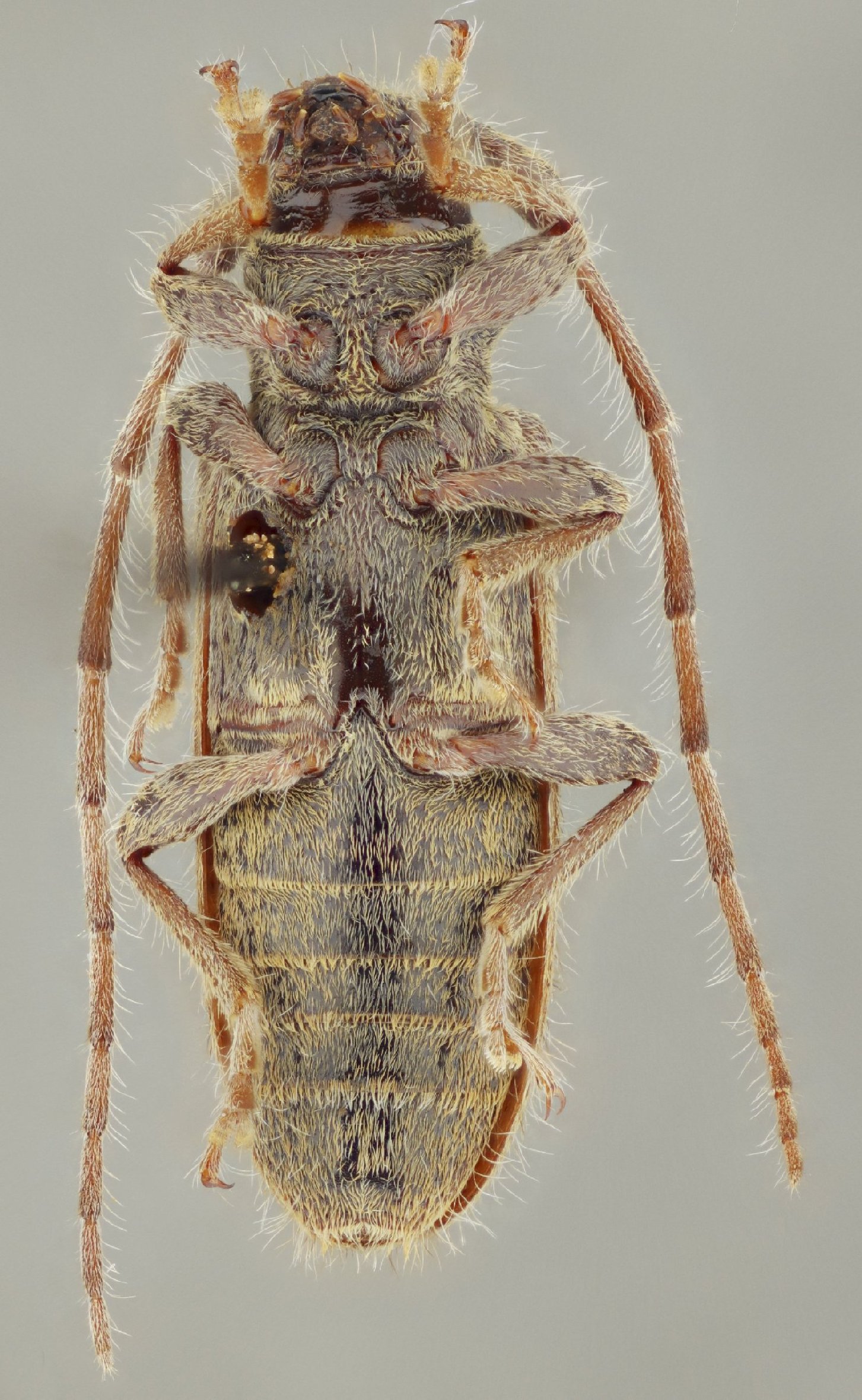
 SS Nasc Bez CSCA 2.5 km SW Zapotitlan Salinas, Puebla Mex SS.jpg)
Specimen Type: holotype Sex: m Institution: CSCA California State Collection of Arthropods, Sacramento, California Photographer: Antonio Santos-Silva Collection Location: 2.5 km SW Zapotitlan Salinas, Puebla, Mexico 102837
|
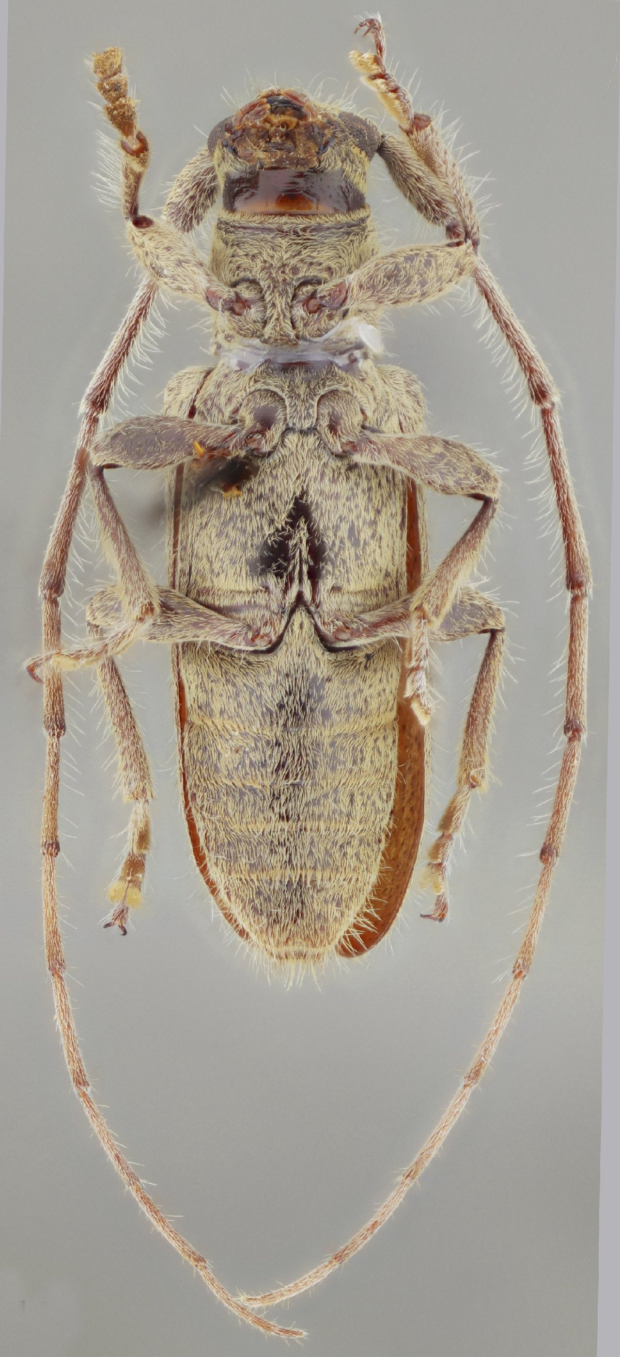
 SS Nasc Bez CSCA 2.5 km SW Zapotitlan Salinas, Puebla Mex SS.jpg)
Specimen Type: holotype Sex: m Institution: CSCA California State Collection of Arthropods, Sacramento, California Photographer: Antonio Santos-Silva Collection Location: 2.5 km SW Zapotitlan Salinas, Puebla, Mexico 102838
|
 SS Nasc Bez CSCA 2.5 km SW Zapotitlan Salinas, Puebla Mex SS.jpg)
Specimen Type: holotype Sex: m Institution: CSCA California State Collection of Arthropods, Sacramento, California Photographer: Antonio Santos-Silva Collection Location: 2.5 km SW Zapotitlan Salinas, Puebla, Mexico 102839
|
 SS Nasc Bez CSCA 2.5 km SW Zapotitlan Salinas, Puebla Mex SS.jpg)
Specimen Type: holotype Sex: m Institution: CSCA California State Collection of Arthropods, Sacramento, California Photographer: Antonio Santos-Silva Collection Location: 2.5 km SW Zapotitlan Salinas, Puebla, Mexico 102840
|
 SS Nasc Bez MZSP 2.5 km SW Zapotitlan Salinas, Puebla Mex SS.jpg)
Specimen Type: paratype Sex: f Institution: MZSP Museu de Zoologia da Universidade de São Paulo, Brazil Photographer: Antonio Santos-Silva Collection Location: 2.5 km SW Zapotitlan Salinas, Puebla, Mexico 102841
|
 SS Nasc Bez MZSP 2.5 km SW Zapotitlan Salinas, Puebla Mex SS.jpg)
Specimen Type: paratype Sex: f Institution: MZSP Museu de Zoologia da Universidade de São Paulo, Brazil Photographer: Antonio Santos-Silva Collection Location: 2.5 km SW Zapotitlan Salinas, Puebla, Mexico 102842
|
|