New Search Family, Subfamily and Tribe List

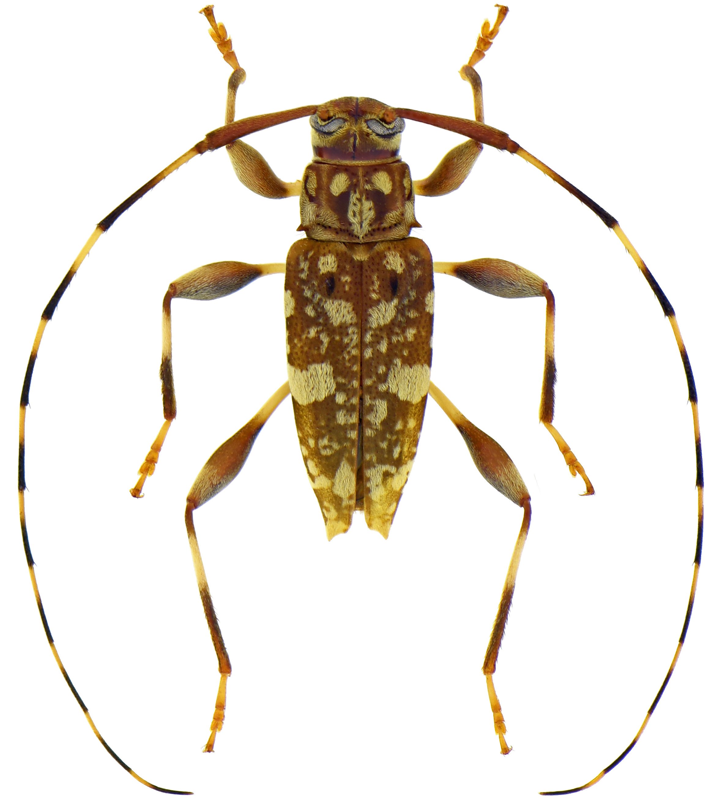
SubFamily Lamiinae

Tribe Acanthocinini
Sternacutus annulicornis puertoquitoensis Roguet 2026

Specimen Type: holotype
Sex: m
Institution: Roguet Collection
Photographer: JP Roguet, https://lamiinae.org
Collection Location: Puerto Quito, Pichincha, Ecuador
102987

130425