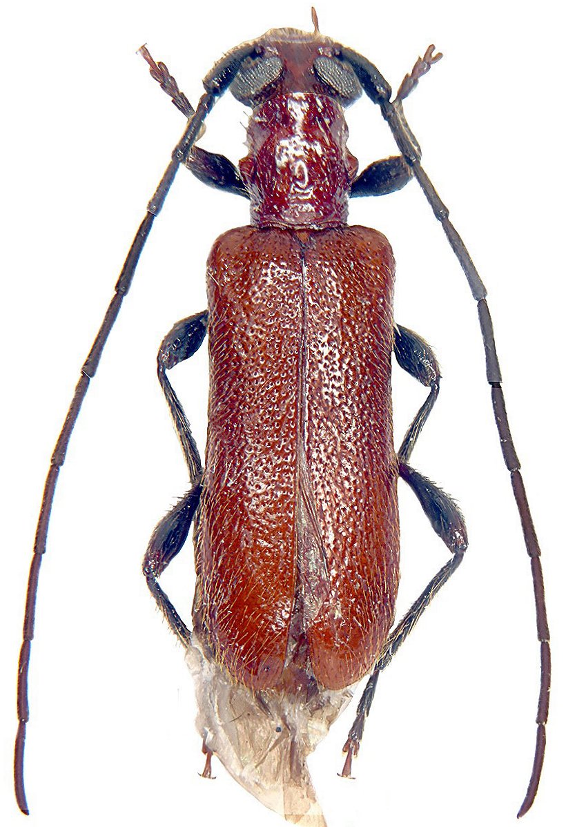
 Lazarev Coll & Ambrus 22 km N Buglan, Mongolia.jpg)
Specimen Type: holotype Sex: m Institution: Lazarev Collection Photographer: Maxim Lazarev Collection Location: 22 km N Buglan, Mongolia 103014
|
 Lazarev & Ambrus 22 km N Buglan, Mongolia Lubos Puchart pic.jpg)
Specimen Type: paratype Sex: f Institution: Puchart Collection Photographer: Lubos Puchart Collection Location: 22 km N Buglan, Mongolia 103015
|