 Thomson MNHN French Guiana Moure.jpg)
Specimen Type: holotype Sex: m Institution: MNHN Museum of Natural History Paris, France Photographer: JS Moure Collection Location: French Guiana 80470
|
_Thomson_MZSP_SWL.jpg)
Gryllica melzeri Bondar Specimen Type: paralectotype Institution: MZSP Museu de Zoologia da Universidade de São Paulo, Brazil Photographer: Steve Lingafelter Collection Location: Agua Preta Exp. Station, Ilheus Municipality, Bahia, Brazil 8715
|
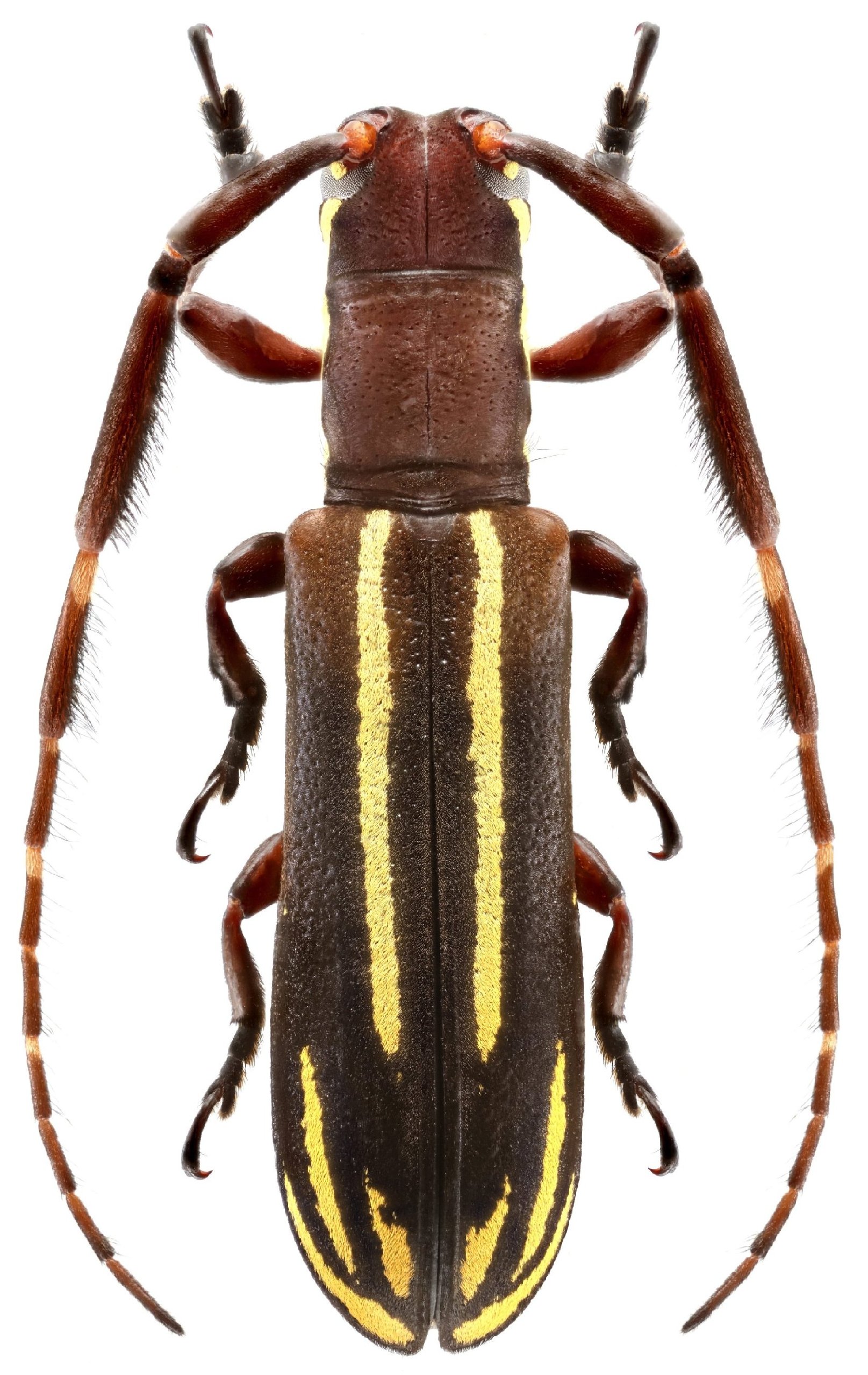
 Thomson Montagne des Chevaux, French Guiana Robin.jpg)
Sex: m Photographer: Frédéric Robin Collection Location: Montagne des Chevaux, French Guiana 78477
|
 Thomson Kaw Frederic Robin.jpg)
Sex: f Photographer: Frédéric Robin Collection Location: Kaw, French Guiana 102724
|

Photographer: Jean-Louis Giuglaris Collection Location: Cacao, French Guiana 28843
|

8716
|
|