_Thomson_MNHN_Cayenne_Fr_G_GN.jpg)
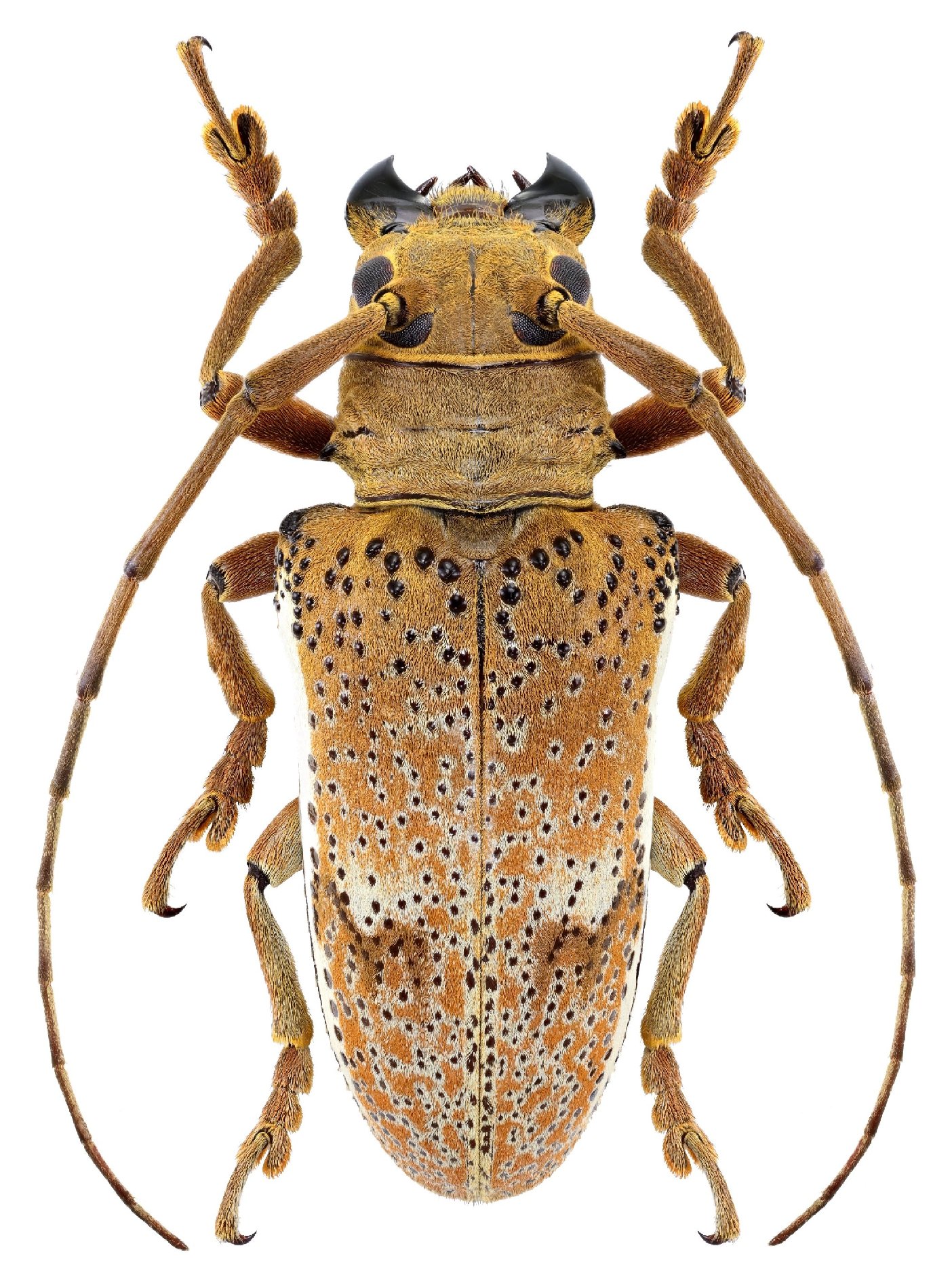
Specimen Type: lectotype Sex: f Institution: MNHN Museum of Natural History Paris, France Photographer: Gino Nearns Collection Location: Cayenne, French Guiana 55850
|
_Kaw_Fr_Guiana_Giuglaris.jpg)
Photographer: Jean-Louis Giuglaris Collection Location: Kaw, French Guiana 29068
|

Institution: BCA Biologia Centrali Americana 11187
|

Institution: CAS California Academy of Sciences, San Francisco, CA, USA Photographer: Larry G. Bezark 11188
|

Institution: UCB Essig Museum of Entomology, Berkeley, California, USA Photographer: Larry G. Bezark Determiner: Chemsak Collection Location: Canal Zone, Panama 11189
|
 Korou Frederic Robin.jpg)
Sex: f Photographer: Frédéric Robin Collection Location: Korou, French Guiana 22293
|

11186
|
|