_Martins_and_Galileo_MZSP_SWL.jpg)
Specimen Type: holotype Sex: f Institution: CAS California Academy of Sciences, San Francisco, CA, USA Photographer: Steve Lingafelter Collection Location: 27 miles SW of Quevedo, Los Rios, Ecuador 7322
|
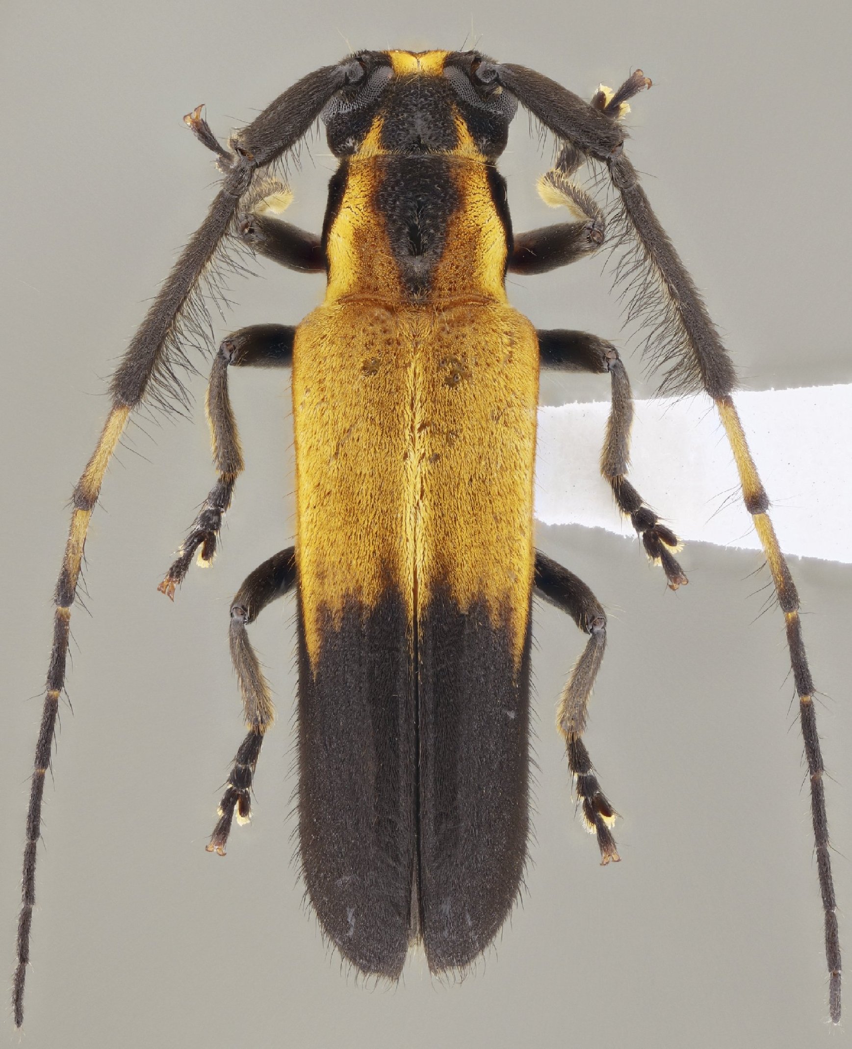
 Martins & Galileo MZSP Los Rios, Ecuador SS.jpg)
Specimen Type: paratype Sex: m Institution: MZSP Museu de Zoologia da Universidade de São Paulo, Brazil Photographer: Antonio Santos-Silva Collection Location: Los Rios, Ecuador 101607
|
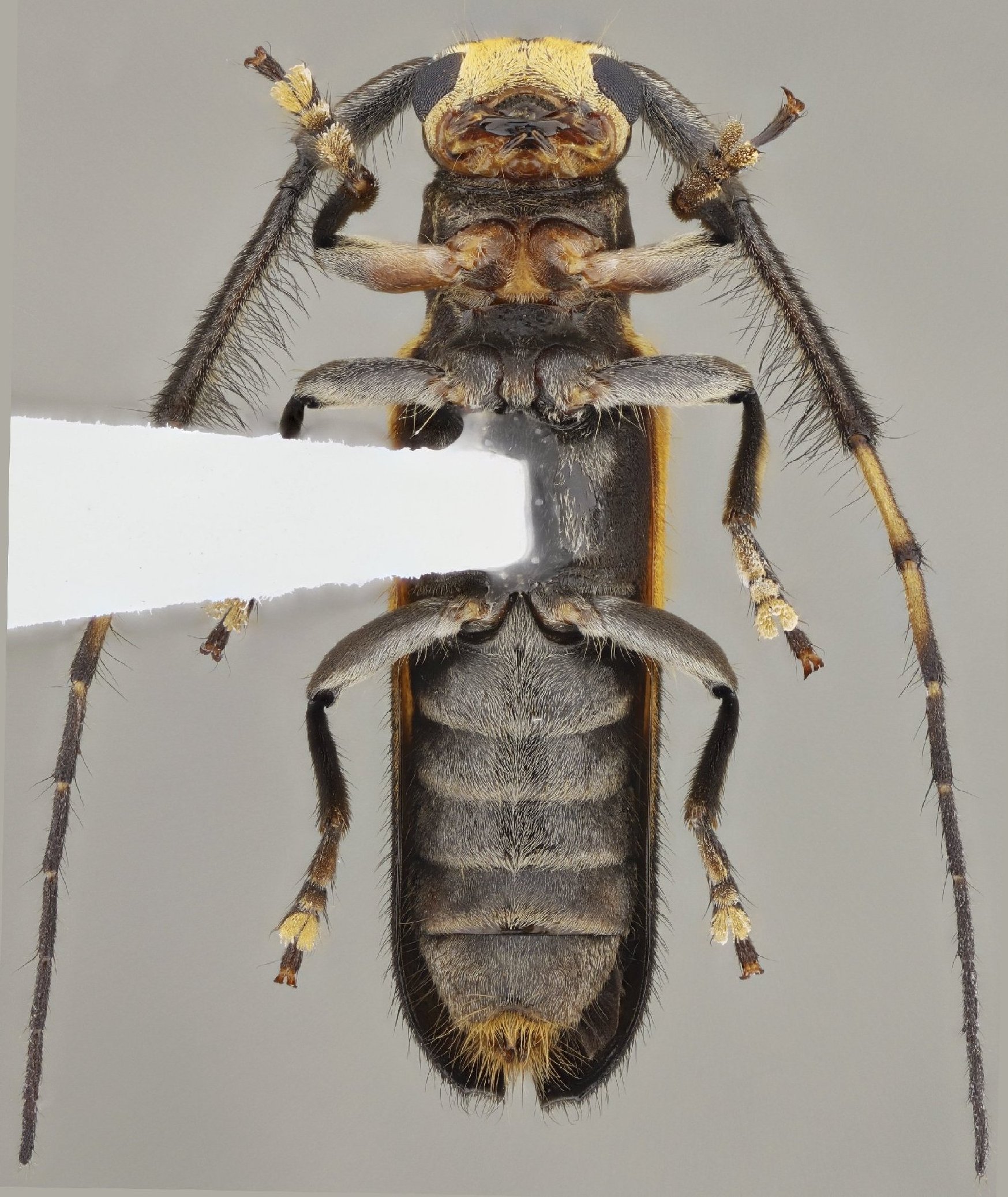
 Mart Gal MZSP Vicinity Macara, Loja, Ecuador SS.jpg)
Sex: m Institution: MZSP Museu de Zoologia da Universidade de São Paulo, Brazil Photographer: Antonio Santos-Silva Collection Location: Vicinity of Macara, Loja, Ecuador 101608
|
 Mart Gal MZSP Vicinity Macara, Loja, Ecuador SS.jpg)
Sex: m Institution: MZSP Museu de Zoologia da Universidade de São Paulo, Brazil Photographer: Antonio Santos-Silva Collection Location: Vicinity of Macara, Loja, Ecuador 101609
|
 Mart Gal MZSP Vicinity Macara, Loja, Ecuador SS.jpg)
Sex: m Institution: MZSP Museu de Zoologia da Universidade de São Paulo, Brazil Photographer: Antonio Santos-Silva Collection Location: Vicinity of Macara, Loja, Ecuador 101610
|
 Mart Gal MZSP Vicinity Macara, Loja, Ecuador SS.jpg)
Sex: m Institution: MZSP Museu de Zoologia da Universidade de São Paulo, Brazil Photographer: Antonio Santos-Silva Collection Location: Vicinity of Macara, Loja, Ecuador 101611
|
|