 Gahan BMNH Brazil Moure.jpg)
Xestia denticornis Gahan Specimen Type: syntype Institution: BMNH British Museum Natural History, London, UK Photographer: JS Moure Collection Location: Brazil 102077
|
_Gahan_BMNH_Brazil_nowColeoxestia_LGB.jpg)
Xestia denticornis Gahan Specimen Type: syntype Institution: BMNH British Museum Natural History, London, UK Photographer: Larry G. Bezark Collection Location: Brazil 21732
|
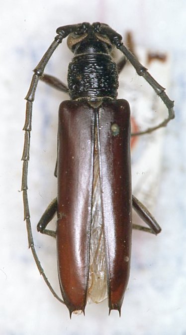
_(Gahan_SS.jpg)
Sex: m Photographer: Antonio Santos-Silva 62281
|
_UCB.jpg)
Institution: UCB Essig Museum of Entomology, Berkeley, California, USA Photographer: Larry G. Bezark 5805
|
_Heffern_TAMU_photo.jpg)
Institution: TAMU Texas A & M University, College Station, Texas, USA Photographer: Dan Heffern Collection Location: Buena Vista, Santa Cruz, Bolivia 20863
|
|