New Search Family, Subfamily and Tribe List

SubFamily Cerambycinae

Tribe Cerambycini Sphallotrichina
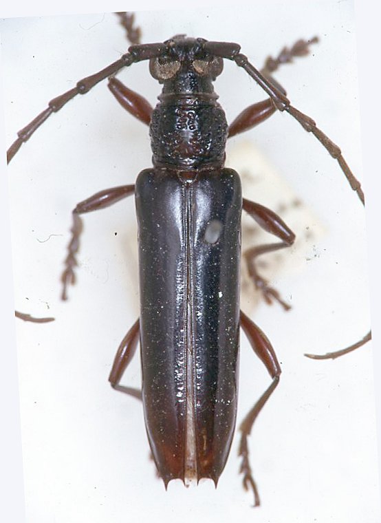
Coleoxestia nigropicea (Bates, 1870)

Xestia nigropicea Bates
Specimen Type: holotype
Sex: m
Institution: MNHN Museum of Natural History Paris, France
Photographer: JS Moure
Collection Location: Para, Brazil
23242

130425