 Bates MNHN Para, Brazil Moure.jpg)  
Specimen Type: holotype Sex: f  Institution: MNHN Museum of Natural History Paris, France Photographer: JS Moure Collection Location: Para, Brazil 100778 
 
  | 
  
Photographer: Jim Wappes Collection Location: Bolivia 28628 
 
  | 
 
  
Institution: TAMU Texas A & M University, College Station, Texas, USA Photographer: Dan Heffern 20872 
 
  | 
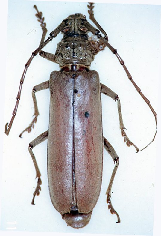
 Bates Saut Mapaou, Regina, French Guiana Robin.jpg)  
Sex: f  Photographer: Frédéric Robin Collection Location: Saut Mapaou, Regina, French Guiana 78149 
 
  | 
 
 
 |