 Waterhouse BMNH Gualaquiza, Morona-Santiago, Ecuador now Metacr Moure.jpg)
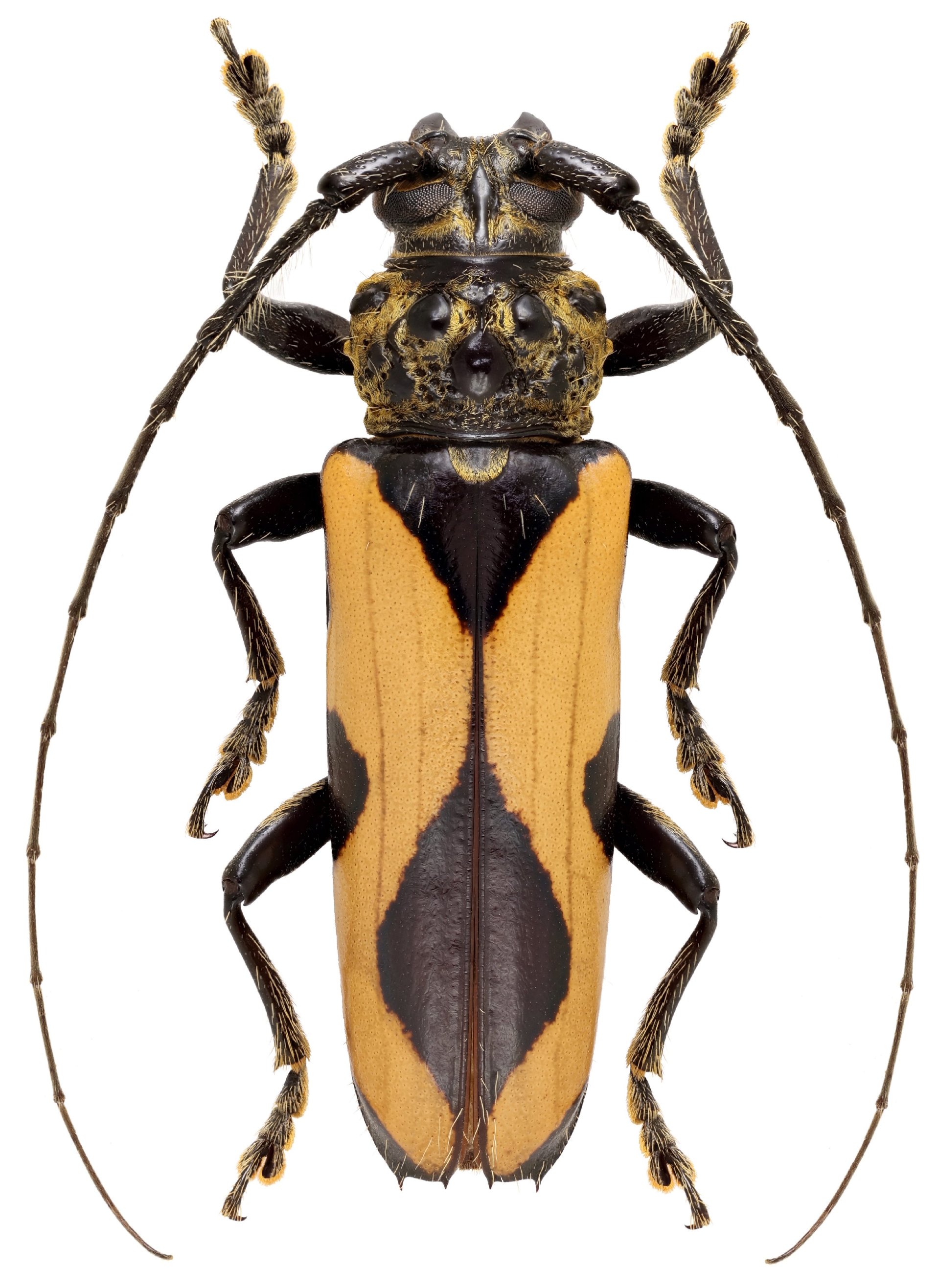
Criodion pictum Waterhouse Specimen Type: holotype Sex: m Institution: BMNH British Museum Natural History, London, UK Photographer: JS Moure Collection Location: Gualaquiza, Morona-Santiago, Ecuador 100579
|
_Waterh_BMNH_Gualaquiza_Morona-Santiago_EC_nowMetacriodion_LGB.jpg)
Criodion pictum Waterhouse Specimen Type: holotype Sex: m Institution: BMNH British Museum Natural History, London, UK Photographer: Larry G. Bezark Collection Location: Gualaquiza, Morona-Santiago, Ecuador 46572
|
 (Waterh) Korou Frederic Robin.jpg)
Sex: m Photographer: Frédéric Robin Collection Location: Korou, French Guiana 102730
|
_Lingafelter.jpg)
Photographer: Steve Lingafelter 21131
|
_Bolivia_Wappes_Photo.jpg)
Photographer: Jim Wappes Collection Location: Bolivia 9930
|
_Det_Chemsak_UCB.jpg)
Institution: UCB Essig Museum of Entomology, Berkeley, California, USA Photographer: Larry G. Bezark Determiner: Chemsak 9931
|

Photographer: Odette Morvan Collection Location: French Guiana 31502
|
_28km_Iquitos-Nauta_Road_Loreto_Peru_Kozlov.jpg)
Photographer: Anton Kozlov Collection Location: 28 km Iquitos-Nauta Road, Loreto, Peru 64210
|