 Fisher AMNH Finca San Carlos, Guantanamo, Oriente, Cuba Moure.jpg)
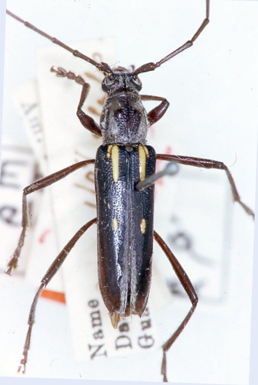
Specimen Type: holotype Sex: f Institution: AMNH American Museum of Natural History, New York, NY, USA Photographer: JS Moure Collection Location: Finca San Carlos, Guantanamo, Oriente, Cuba 27739
|
_(f)_Fisher_AMNH_JAC.jpg)
Specimen Type: holotype Sex: f Institution: AMNH American Museum of Natural History, New York, NY, USA Photographer: John Chemsak Collection Location: Finca San Carlos, Guantánamo, Oriente, Cuba 16172
|