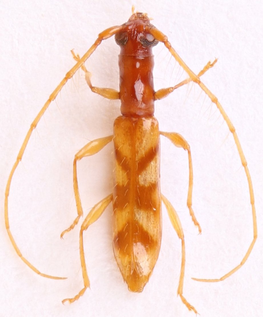
_Martins_MNHN_Pery-Pery_Pernambuco_Brazil_SS_photo.jpg)
Specimen Type: holotype Sex: f Institution: MNHN Museum of Natural History Paris, France Photographer: Antonio Santos-Silva Collection Location: Pery-Pery, Pernambuco, Brazil 27110
|

Institution: LGBC Larry G. Bezark Collection, Sacramento, California, USA Photographer: Larry G. Bezark Collection Location: Kaw, French Guiana 78388
|