 Lameere IRSNB Barbacena, Minas Gerais, Brazil Moure.jpg)
Specimen Type: lectotype Sex: m Institution: IRSNB Royal Belgian Institute of Natural Sciences, Brussels, Belgium Photographer: JS Moure Collection Location: Barbacena, Minas Gerais, Brazil 101710
|
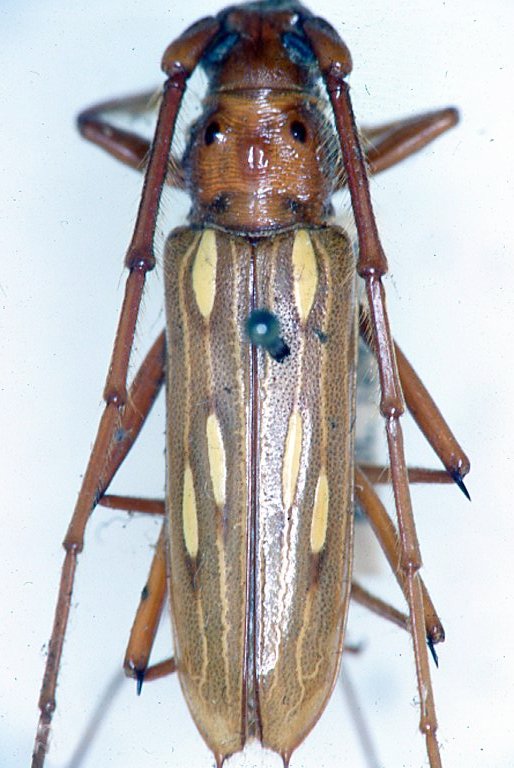
_Lameere_SS.jpg)
Sex: m Institution: MZSP Museu de Zoologia da Universidade de São Paulo, Brazil Photographer: Antonio Santos-Silva 48231
|