_Erichson_Gilmour_1963_=_Eburodacrys.jpg)
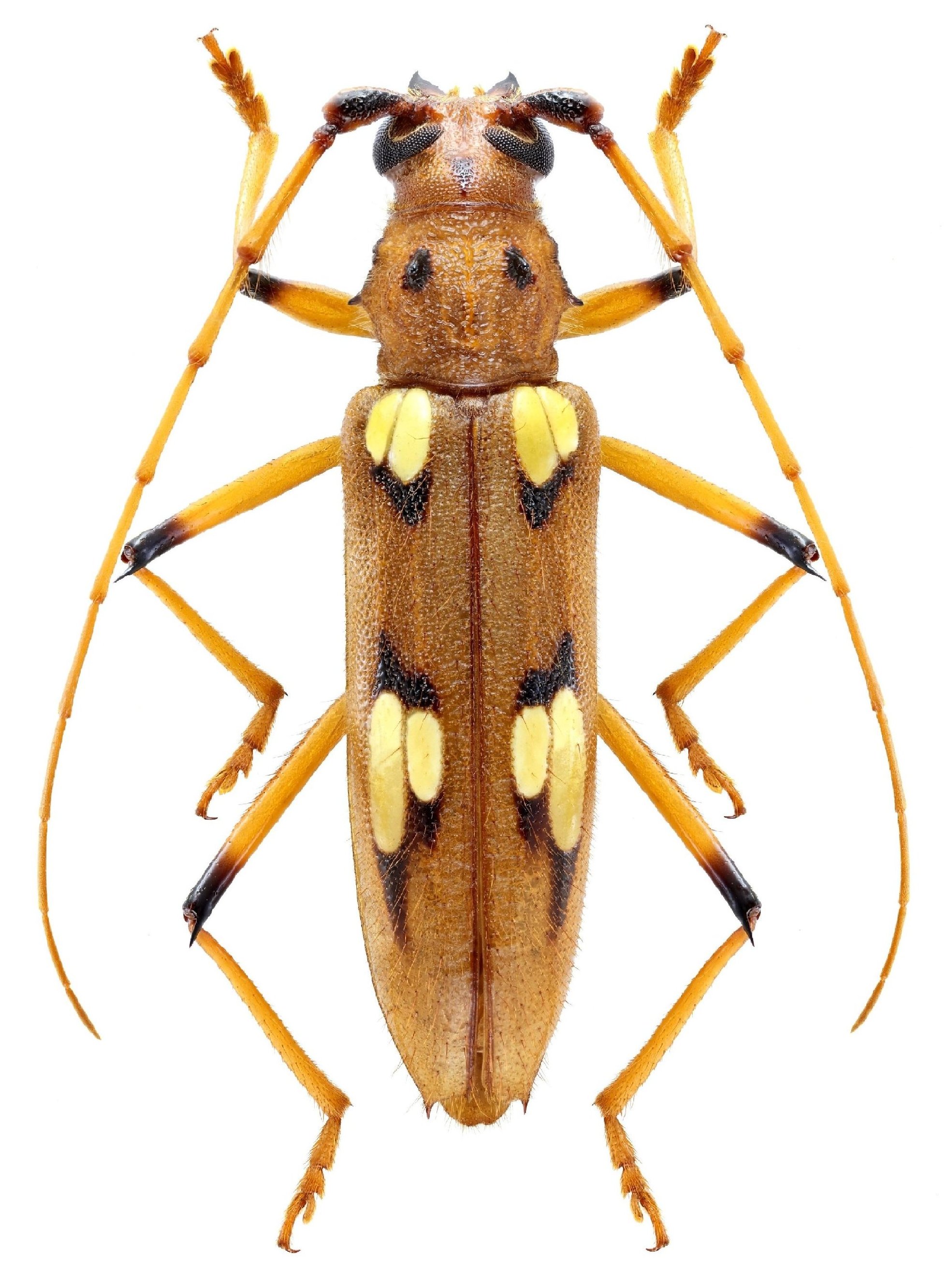
Eburia perspicillaris Erichson Specimen Type: lectotype, paralect Sex: ff Institution: ZMHB Museum für Naturkunde der Humboldt-Universität, Berlin, Germany Collection Location: Guyana 22698
|
 Bates MNHN Cayenne, French Guiana now perspicill Moure.jpg)
Eburodacrys cacica Bates Specimen Type: holotype Sex: f Institution: MNHN Museum of Natural History Paris, France Photographer: JS Moure Collection Location: Cayenne, French Guiana 101701
|
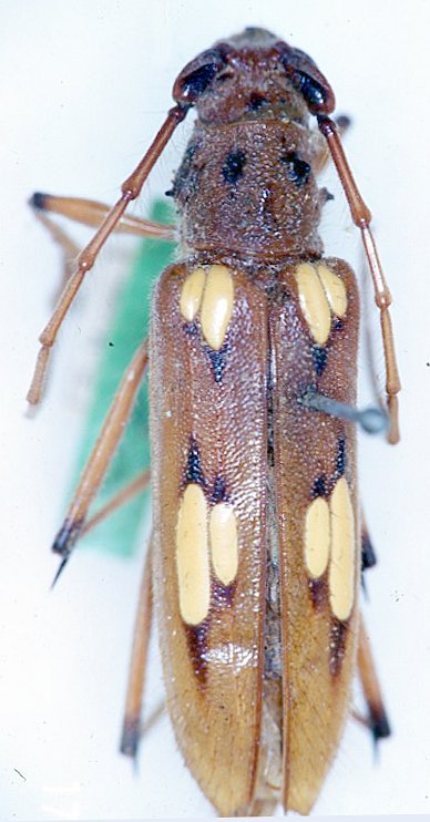
 (Erichson) Korou Frederic Robin.jpg)
Sex: f Photographer: Frédéric Robin Collection Location: Korou, French Guiana 102717
|

Photographer: Jean-Louis Giuglaris Collection Location: Cacao, French Guiana 28718
|
_Det_Tavakilian_UCB.jpg)
Institution: UCB Essig Museum of Entomology, Berkeley, California, USA Photographer: Larry G. Bezark Determiner: Tavakilian 7081
|
_Faure_French_Guiana.jpg)
Photographer: Denis Faure Collection Location: French Guiana 21868
|
_Kaw_Fr_Guiana_Morvan_photo.jpg)
Photographer: Odette Morvan Collection Location: Kaw, French Guiana 25165
|
_(Erichson)_Botero.jpg)
Sex: m Photographer: Juan Pablo Botero 63420
|