 Bates MNHN Cayenne, French Guiana Moure.jpg)
Specimen Type: holotype Sex: m Institution: MNHN Museum of Natural History Paris, France Photographer: JS Moure Collection Location: Cayenne, French Guiana 101751
|
_Bates_MNHN_JAC.jpg)
Specimen Type: holotype Sex: m Institution: MNHN Museum of Natural History Paris, France Photographer: John Chemsak Collection Location: Cayenne, French Guiana 16233
|
_Bates_MNHN_FTH.jpg)
Specimen Type: holotype Sex: m Institution: MNHN Museum of Natural History Paris, France Collection Location: Cayenne, French Guiana 16232
|
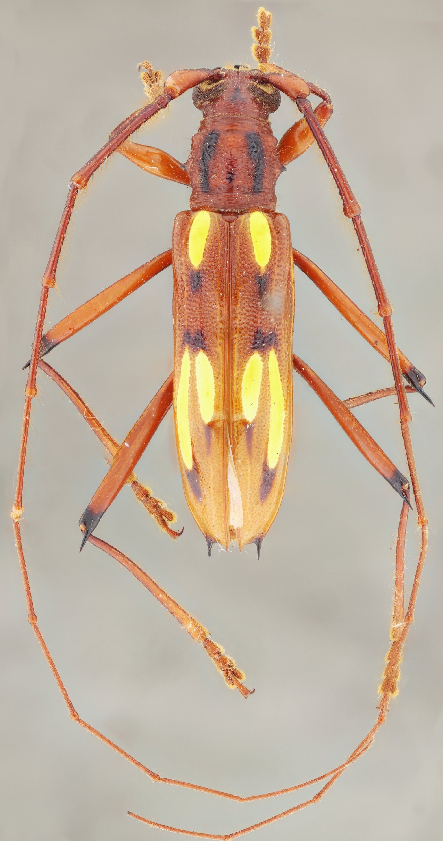
 Monne & Martins MZSP Satipo, Junin, Peru now raripila SS.jpg)
Eburodacrys laticlavia Monne & Martins Specimen Type: holotype Sex: m Institution: MZSP Museu de Zoologia da Universidade de São Paulo, Brazil Photographer: Antonio Santos-Silva Collection Location: Satipo, Junin, Peru 22700
|
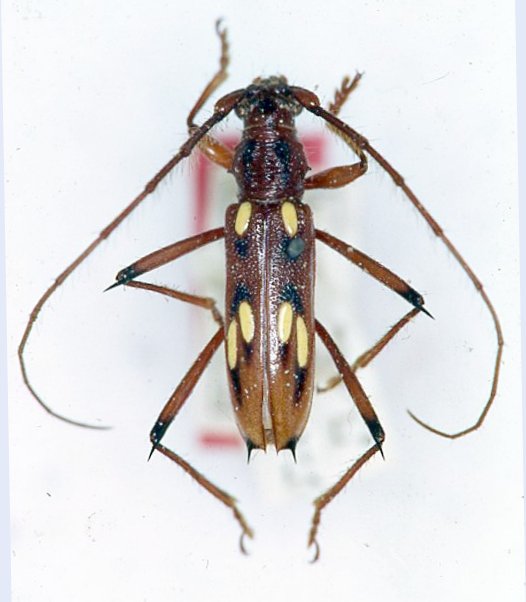
_Bates_Botero.jpg)
Sex: m Photographer: Juan Pablo Botero 63426
|
|