_Zajciw_MNRJ_SWL_=_Eburodacrys_truncata_Fuchs.jpg)
Eburodacrys asperipennis Zajciw Specimen Type: holotype Sex: m Institution: MNRJ Museu Nacional Universidade do Rio Janeiro, Brazil Photographer: Steve Lingafelter Collection Location: Campo Maior, Piauí, Brazil 7032
|
_Zajciw_MNRJ_Campo_Maior_Piaui_Brazil_now_truncata_Botero.jpg)
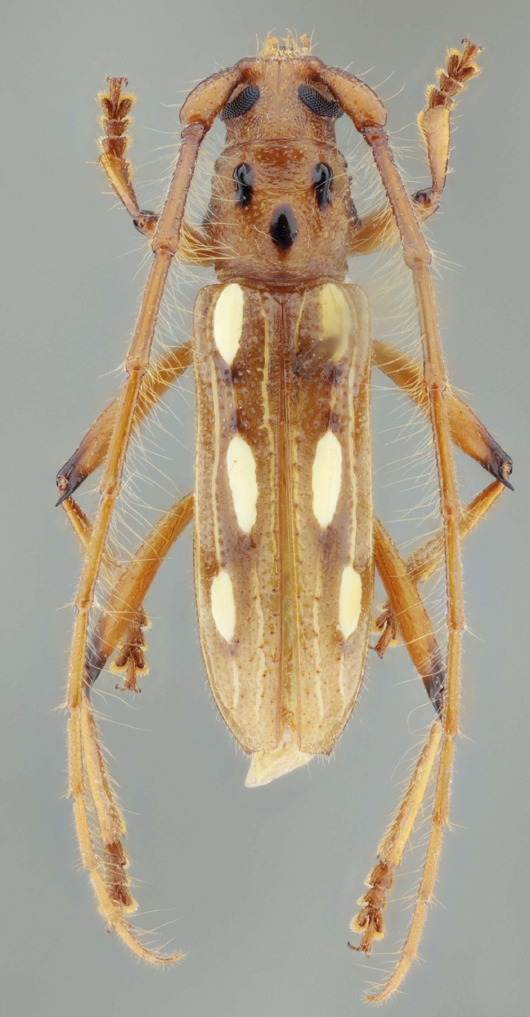
Eburodacrys asperipennis Zajciw Specimen Type: holotype Sex: m Institution: MNRJ Museu Nacional Universidade do Rio Janeiro, Brazil Photographer: Juan Pablo Botero Collection Location: Campo Maior, Piauí, Brazil 63380
|

Sex: m Institution: ZUFMS Coleção Zoológica da Universidade Federal de Mato Grosso do Sul, Brazil Photographer: Antonio Santos-Silva Collection Location: Dois Irmaos do Buriti Mato Grosso do Sul, Brazil 101013
|

Photographer: Steve Lingafelter 21088
|

Institution: Universidad Nacional del
Nordeste, Argentina Photographer: Nestor Valle Collection Location: Los Chaguares, Chaco, Argentina 7125
|

Institution: EMG Ed Giesbert Collection (now at FSCA) Photographer: Larry G. Bezark Collection Location: Santa Cruz, Bolivia 7126
|

Photographer: Ole Mehl Collection Location: Department Boqueron, Paraguay 37024
|