New Search Family, Subfamily and Tribe List

SubFamily Cerambycinae

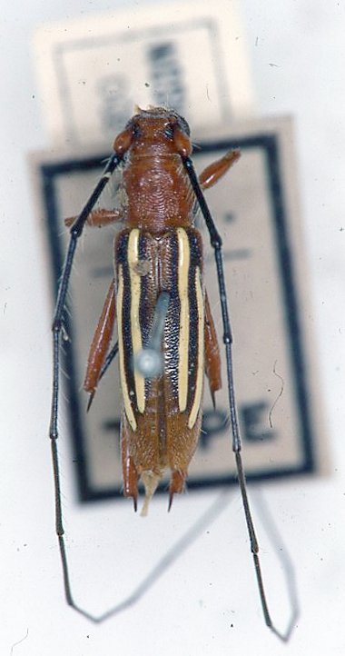
Tribe Eburiini
Erosida delia Thomson 1861

Specimen Type: holotype
Institution: MNHN Museum of Natural History Paris, France
Photographer: JS Moure
Collection Location: Venezuela
101784


Photographer: Steve Lingafelter
Determiner: Martins
Collection Location: Santa Cruz, Bolivia
31080


Photographer: Jim Wappes
Collection Location: Bolivia
42184


21321

130425