 Waterhouse BMNH Sarayacu, Pastaza, Ecuador now Pant costipenn Moure.jpg)
Opades costipennis Waterhouse Specimen Type: syntype Sex: m Institution: BMNH British Museum Natural History, London, UK Photographer: JS Moure Collection Location: Sarayacu, Pastaza, Ecuador 11324
|
_Waterh_BMNH_Sarayacu_Pastaza_EC_now_Opades_LGB.jpg)
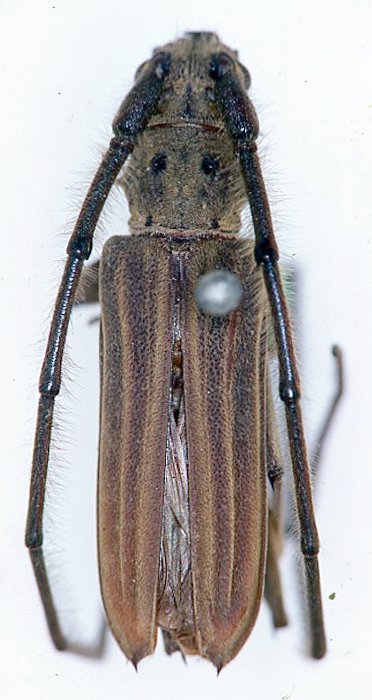
Mallocera costifera Waterhouse Specimen Type: holotype Sex: m Institution: BMNH British Museum Natural History, London, UK Photographer: Larry G. Bezark Collection Location: Sarayacu, Pastaza, Ecuador 47060
|
_Waterh_BMNH_Sarayacu_Pastaza_EC_now_Opades_LGB.jpg)
Mallocera costifera Waterhouse Specimen Type: holotype Sex: m Institution: BMNH British Museum Natural History, London, UK Photographer: Larry G. Bezark Collection Location: Sarayacu, Pastaza, Ecuador 47061
|
 Waterhouse BMNH Sarayacu, Pastaza, Ecuador now Panto costipen KM.jpg)
Mallocera costifera Waterhouse Specimen Type: holotype Sex: m Institution: BMNH British Museum Natural History, London, UK Photographer: Keita Matsumoto Collection Location: Sarayacu, Pastaza, Ecuador 78776
|
 Waterhouse BMNH Sarayacu, Pastaza, Ecuador now Panto costipen KM.jpg)
Mallocera costifera Waterhouse Specimen Type: holotype Sex: m Institution: BMNH British Museum Natural History, London, UK Photographer: Keita Matsumoto Collection Location: Sarayacu, Pastaza, Ecuador 78777
|
 Waterhouse BMNH Sarayacu, Pastaza, Ecuador now Panto costipen KM.jpg)
Mallocera costifera Waterhouse Specimen Type: holotype Sex: m Institution: BMNH British Museum Natural History, London, UK Photographer: Keita Matsumoto Collection Location: Sarayacu, Pastaza, Ecuador 78778
|
_Waterhouse_BMNH_JAC_=_Opades_costipennis_(Buquet).jpg)
Mallocera costifera Waterhouse Specimen Type: holotype Sex: m Institution: BMNH British Museum Natural History, London, UK Photographer: John Chemsak Collection Location: Sarayacu, Pastaza, Ecuador 17246
|
 Bates MNHN Tefge (Orig Ega), Amazonas, Brazil now Panto costip Moure.jpg)
Opades vittipennis Bates Specimen Type: holotype Sex: f Institution: MNHN Museum of Natural History Paris, France Photographer: JS Moure Collection Location: Tefé (originally Ega), Amazonas, Brazil 101912
|
_Kaw_Belizon_Fr_Guiana_Giuglaris.jpg)
Photographer: Jean-Louis Giuglaris Collection Location: Kaw, French Guiana 29093
|
|