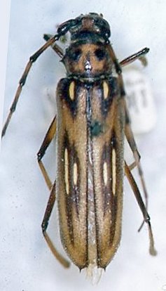
 Gounelle MNHN Goias o Minas Gerais, Brazil now Uncie Moure.jpg)
Eburia rogersi var nigricans Gounelle Specimen Type: syntype Institution: MNHN Museum of Natural History Paris, France Photographer: JS Moure Collection Location: Goias or Minas Gerais, Brazil 101693
|
_CAS.jpg)
Institution: CAS California Academy of Sciences, San Francisco, CA, USA 20798
|