New Search Family, Subfamily and Tribe List

SubFamily Lamiinae

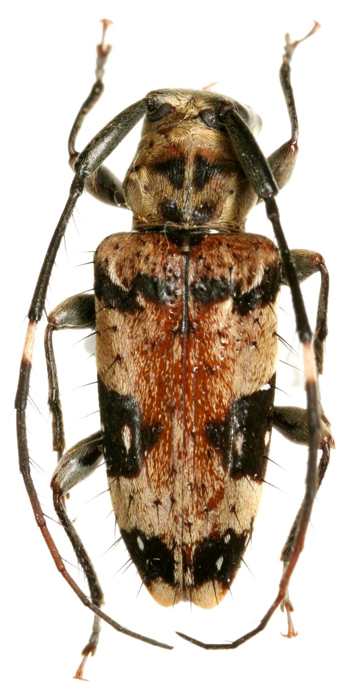
Tribe Acanthocinini
Goephanes olivaceus Breuning 1938

Institution: Heffern Collection
Photographer: Dan Heffern
Determiner: Jerome Sudre, Cerambycoidea Forum
Collection Location: Madagascar
102230

130425