 Veiga-Ferreira Castro Mus, Maputo Mozamb Amatongas, Mozambique now batesii Riana Bate.jpg)
Eunidia bomfordi Veiga-Ferreira Specimen Type: holotype Sex: m Institution: Alvaro de Castro Museum, Maputo, Mozambique Photographer: Riana Bate, Cerambycoidea Forum Collection Location: Amatongas, Mozambique 102417
|
_Aurivillius_Tanzania_USNM.jpg)
Eunidia nigromaculata trimaculata Aurivillius Specimen Type: holotype Institution: ZSM Zoologische Staatssammlung, München, Germany Photographer: Steve Lingafelter Collection Location: Tanzania 40387
|

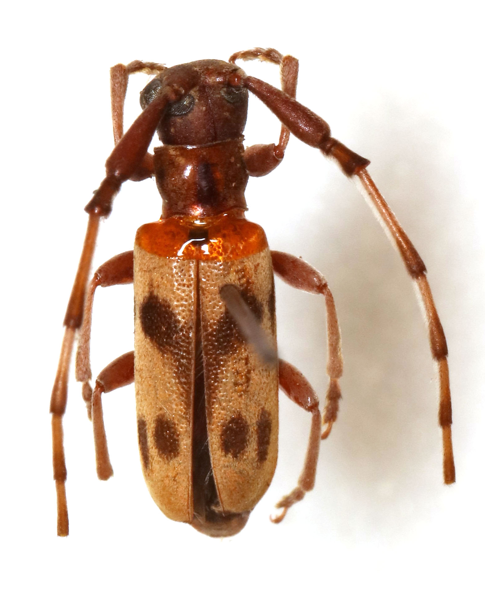
Institution: LGBC Larry G. Bezark Collection, Sacramento, California, USA Photographer: Larry G. Bezark Collection Location: Bulawayo, Zimbabwe 40320
|
|