_Aurivillius_Philippines_USNM_=_Hispastathes.jpg)
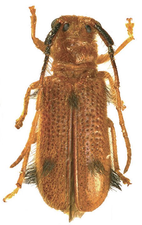
Chreonoma ferruginea Aurivillius Specimen Type: holotype Institution: NMNH United States National Museum, Washington, DC, USA Photographer: Steve Lingafelter Collection Location: Butuan, Mindanao, Philippines 35218
|
 Aurivillius NHRS Butuan, Mindanao, Philippines now Hispastathes Vives pic.jpg)
Chreonoma ferruginea Aurivillius Specimen Type: syntype Sex: f Institution: NHRS Naturhistoriska Riksmuseet, Stockholm, Sweden Photographer: Eduard Vives Collection Location: Butuan, Mindanao, Philippines 101634
|