 Pascoe BMNH Morotai (Morty), Gilolo, Molucca Islands now Prosoplus AW.jpg)
Escharodes interruptus Pascoe Specimen Type: syntype Institution: BMNH British Museum Natural History, London, UK Photographer: Andreas Weigel, Cerambycoidea Forum Collection Location: Morotai (Morty), Gilolo, Molucca Islands 102410
|
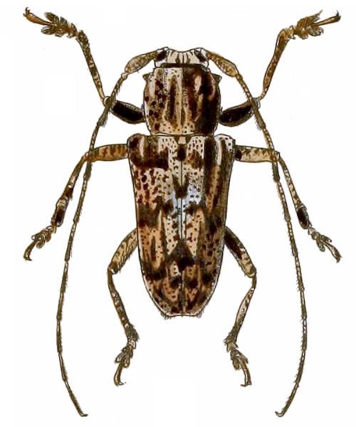
 Pascoe BMNH Morotai (Morty), Gilolo, Molucca Islands now Prosoplus XG.jpg)
Escharodes interruptus Pascoe Specimen Type: syntype Institution: BMNH British Museum Natural History, London, UK Photographer: Xavier Gouverneur, Cerambycoidea Forum Collection Location: Morotai (Morty), Gilolo, Molucca Islands 39176
|