New Search Family, Subfamily and Tribe List

SubFamily Apatophyseinae

Tribe
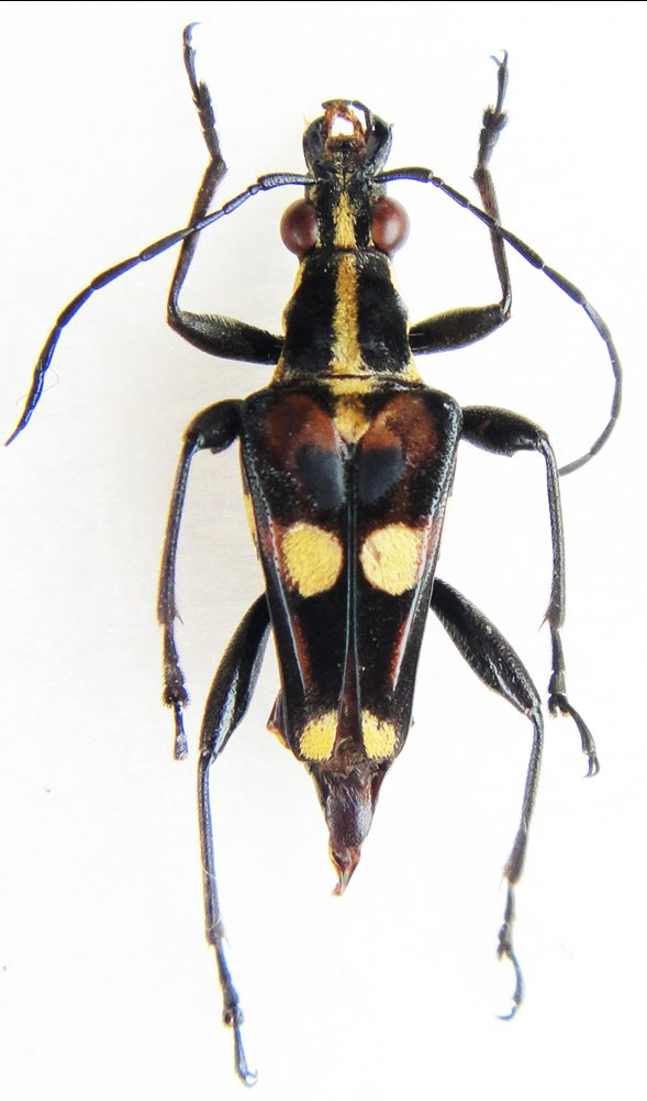
Anthribola quinquemaculata (Waterhouse, 1875)

Institution: JCPC Jim Cope Collection, San Jose, California, USA now at CSCA, Sacramento
Photographer: Jim Cope
Collection Location: Madagascar
73116


Photographer: Dooseok Yi, Cerambycoidea Forum
Collection Location: Madagascar
102113

130425