
Institution: IRSNB Royal Belgian Institute of Natural Sciences, Brussels, Belgium Photographer: Noel Mal Collection Location: Madagascar 52145
|

Collection Location: Madagascar 52146
|

Photographer: Wolfgang Heinkel Collection Location: Madagascar 52147
|

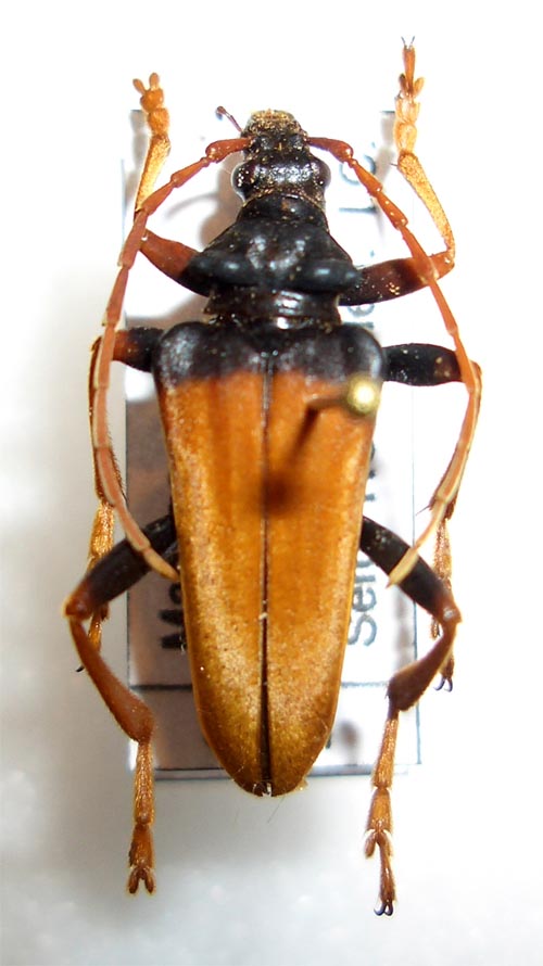
Photographer: Sergei Troccoli, Cerambycoidea Forum Determiner: Patrick Bonneau, Cerambycoidea Forum Collection Location: Beparasy, E Madagascar 102257
|
|