 Pascoe BMNH Tefe (orig Ega)m Amazonas, Brazil now Aglao Moure.jpg)
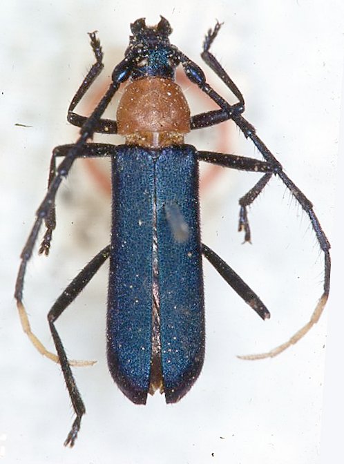
Orthostoma cyanea Pascoe Specimen Type: holotype Institution: BMNH British Museum Natural History, London, UK Photographer: JS Moure Collection Location: Tefé (originally Ega), Amazonas, Brazil 101930
|
_(Pascoe)_Tefe_Amazonas_Brazil_Rev_Bras_Zoo.jpg)
Sex: m Collection Location: Tefe (originally Ega), Amazonas, Brazil 22840
|
_CAS.jpg)
Institution: CAS California Academy of Sciences, San Francisco, CA, USA Photographer: Larry G. Bezark 4049
|
|