 Bates BMNH Purula, Baja Verapaz, Guat now Scato Moure.jpg)
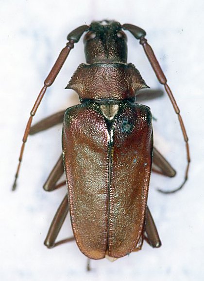
Mallaspis iris Bates Specimen Type: lectotype Sex: m Institution: BMNH British Museum Natural History, London, UK Photographer: JS Moure Collection Location: Purula, Baja Verapaz, Guatemala 20480
|
.jpg)
13154
|

Institution: IRSNB Royal Belgian Institute of Natural Sciences, Brussels, Belgium Photographer: Noel Mal Collection Location: Guatemala 39444
|

Photographer: Robert Perger 27209
|
|