 Bates MNHN Tefe (originally Ega), Amazonas, Brazil now Pirango Moure.jpg)
Mecometopus rubefactus Bates Specimen Type: syntype Institution: MNHN Museum of Natural History Paris, France Photographer: JS Moure Collection Location: Tefé (originally Ega), Amazonas, Brazil 101867
|
_Bates_MNHN_FTH.jpg)
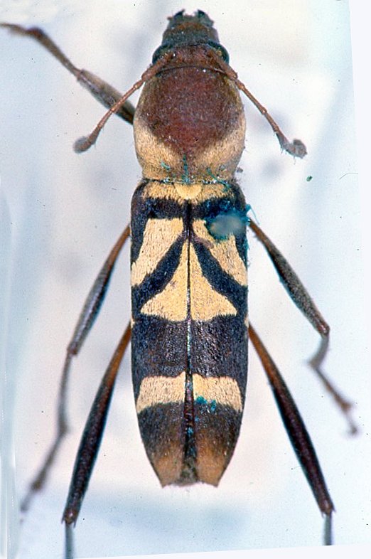
Mecometopus rubefactus Bates Specimen Type: syntype Institution: MNHN Museum of Natural History Paris, France Photographer: Frank T. Hovore Collection Location: Tefé (originally Ega), Amazonas, Brazil 17351
|
_BMNH_Hespenheide_FTH.jpg)
Institution: BMNH British Museum Natural History, London, UK Photographer: Henry Hespenheide 17323
|
_BMNH_JAC.jpg)
Institution: BMNH British Museum Natural History, London, UK Photographer: John Chemsak 17324
|
|