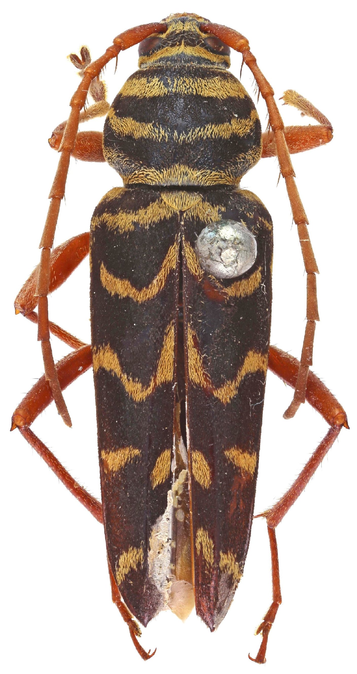
 Thomson MNHN Costa Rica now Megacyllene Christophe Rivier pic.jpg)
Clytus costaricensis Thomson Specimen Type: holotype Institution: MNHN Museum of Natural History Paris, France Photographer: Christophe Rivier Collection Location: Costa Rica 102801
|
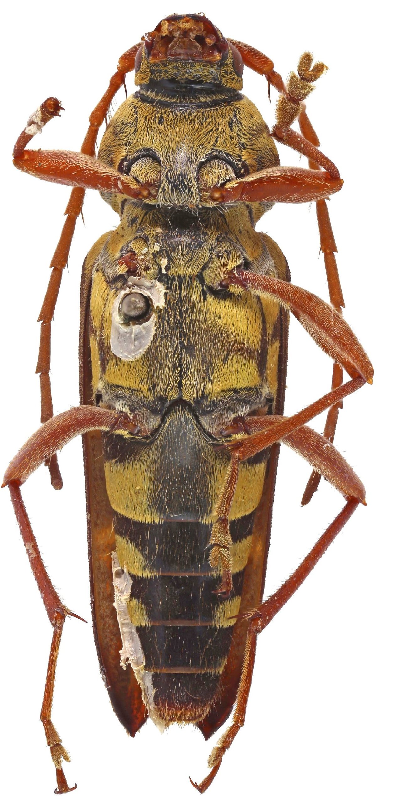
 Thomson MNHN Costa Rica now Megacyllene Christophe Rivier pic.jpg)
Clytus costaricensis Thomson Specimen Type: holotype Institution: MNHN Museum of Natural History Paris, France Photographer: Christophe Rivier Collection Location: Costa Rica 102802
|
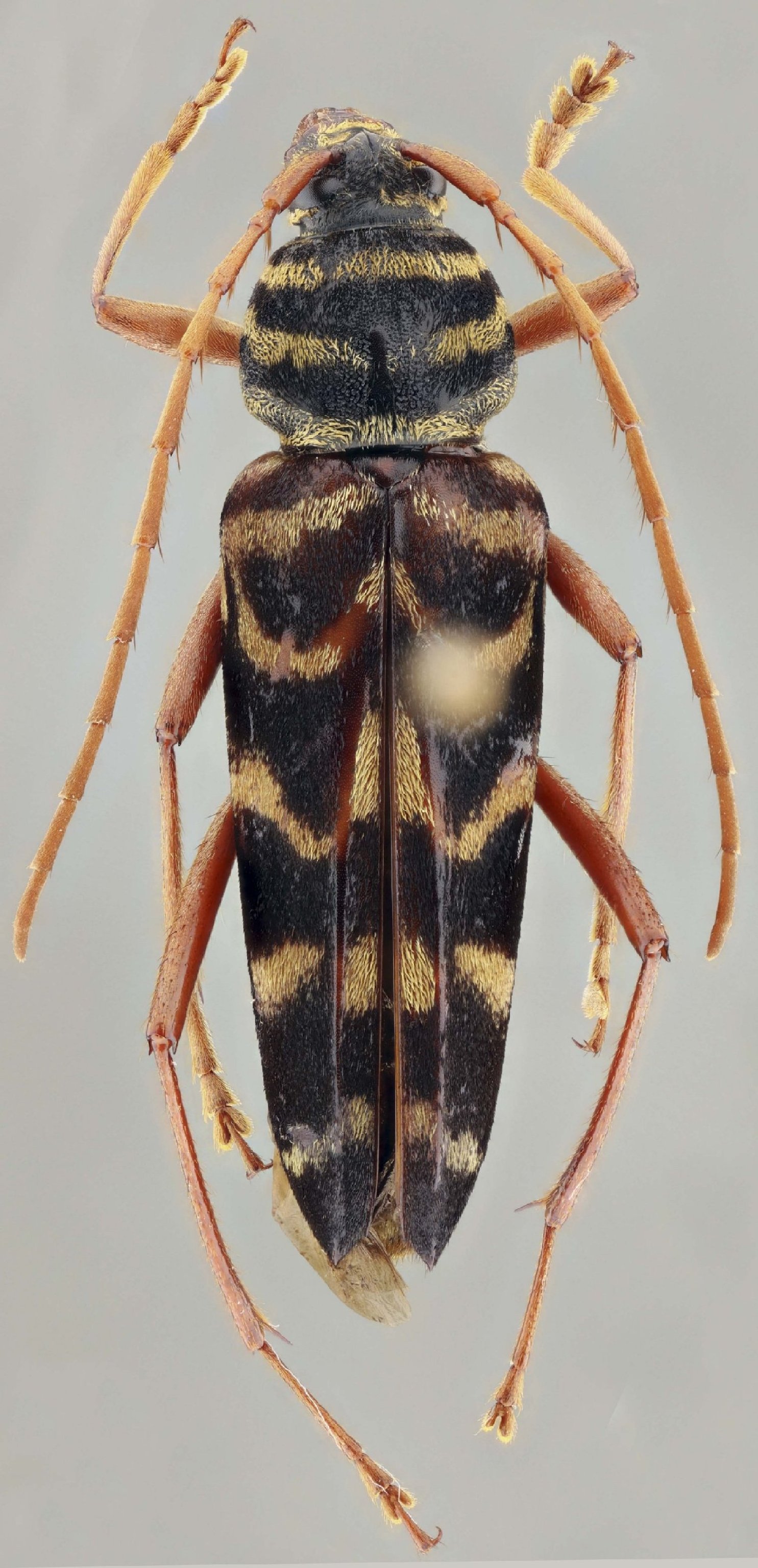
 Thomson MNHN Costa Rica now Megacyllene Christophe Rivier pic.jpg)
Clytus costaricensis Thomson Specimen Type: holotype Institution: MNHN Museum of Natural History Paris, France Photographer: Christophe Rivier Collection Location: Costa Rica 102803
|
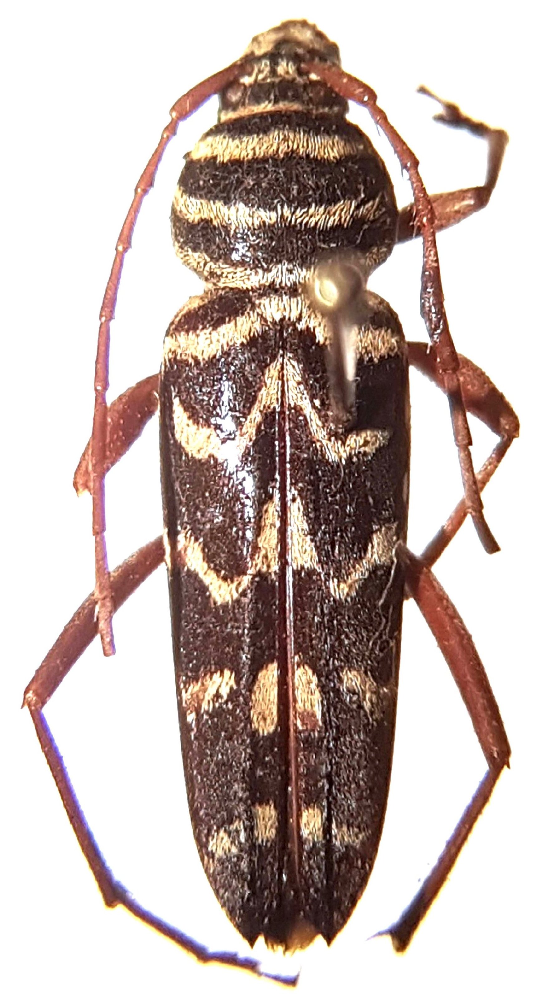
 Thomson MNHN Costa Rica now Megacyllene Christophe Rivier pic.jpg)
Clytus costaricensis Thomson Specimen Type: holotype Institution: MNHN Museum of Natural History Paris, France Photographer: Christophe Rivier Collection Location: Costa Rica 102804
|
 Fuchs SMF Turrialba, Cartago CR now Mega costaric Schmid pic.jpg)
Cyllene ellifranziana Fuchs Specimen Type: holotype Sex: f Institution: SMF Senckenberg Research Institute and Natural History Museum Frankfurt, Germany Photographer: Herbert Schmid Collection Location: Turrialba, Cartago, Costa Rica 102805
|
.jpg)
Institution: LGBC Larry G. Bezark Collection, Sacramento, California, USA Photographer: Larry G. Bezark Collection Location: Monteverde, Puntarenas, Costa Rica 9801
|
 Thomson MZSP San Jose, Costa Rica SS.jpg)
Sex: f Institution: MZSP Museu de Zoologia da Universidade de São Paulo, Brazil Photographer: Antonio Santos-Silva Collection Location: San Jose, Costa Rica 102806
|
 Thomson MZSP San Jose, Costa Rica SS.jpg)
Sex: f Institution: MZSP Museu de Zoologia da Universidade de São Paulo, Brazil Photographer: Antonio Santos-Silva Collection Location: San Jose, Costa Rica 102807
|
 Thomson MZSP San Jose, Costa Rica SS.jpg)
Sex: f Institution: MZSP Museu de Zoologia da Universidade de São Paulo, Brazil Photographer: Antonio Santos-Silva Collection Location: San Jose, Costa Rica 102808
|
 Thomson MZSP San Jose, Costa Rica SS.jpg)
Sex: f Institution: MZSP Museu de Zoologia da Universidade de São Paulo, Brazil Photographer: Antonio Santos-Silva Collection Location: San Jose, Costa Rica 102809
|