 Demelt MZLU Maspalomas, Gran Canary Island now Deroplia.jpg)
Stenidea niveopicta Demelt Specimen Type: holotype Institution: MZLU Biological Museum Lund University, Lund, Sweden Collection Location: Maspalomas, Gran Canary Island 96758
|
 Demelt MZLU Maspalomas, Gran Canary Island noe Deroplia.jpg)
Stenidea niveopicta Demelt Specimen Type: holotype Institution: MZLU Biological Museum Lund University, Lund, Sweden Collection Location: Maspalomas, Gran Canary Island 96759
|
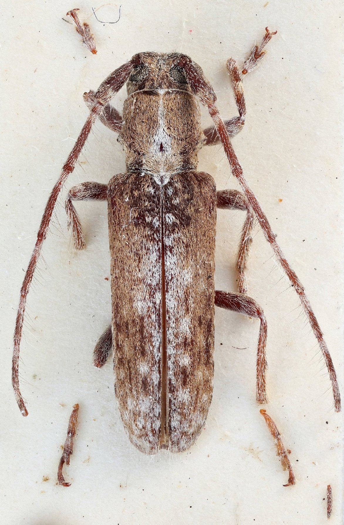
 Demelt MZLU Maspalomas, Gran Canary Island now Deroplia.jpg)
Stenidea niveopicta Demelt Specimen Type: holotype Institution: MZLU Biological Museum Lund University, Lund, Sweden Collection Location: Maspalomas, Gran Canary Island 96760
|

Collection Location: Masapalomas, Grand Canary, Canary Islands 37286
|
 Canary Islands D Navratil.jpg)
Photographer: David Navratil Collection Location: Canary Islands 77644
|
_Canary_Islands_Rejzek.jpg)
Photographer: Rejzek Collection Location: Canary Islands (Spain) 37285
|
|