 Bates BMNH Quiche Mtns, El Quiche, Guatemala Moure.jpg)
Specimen Type: holotype Sex: f Institution: BMNH British Museum Natural History, London, UK Photographer: JS Moure Collection Location: Quiche Mtns, El Quiche, Guatemala 102061
|
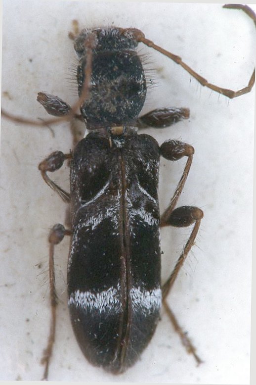
_Bates_BMNH_JAC.jpg)
Specimen Type: holotype Sex: f Institution: BMNH British Museum Natural History, London, UK Photographer: John Chemsak Collection Location: Quiche Mtns, El Quiche, Guatemala 18745
|