_Chevrolat_MNHN_FTH.jpg)
Specimen Type: lectotype Sex: f Institution: MNHN Museum of Natural History Paris, France Collection Location: Colombia 15924
|
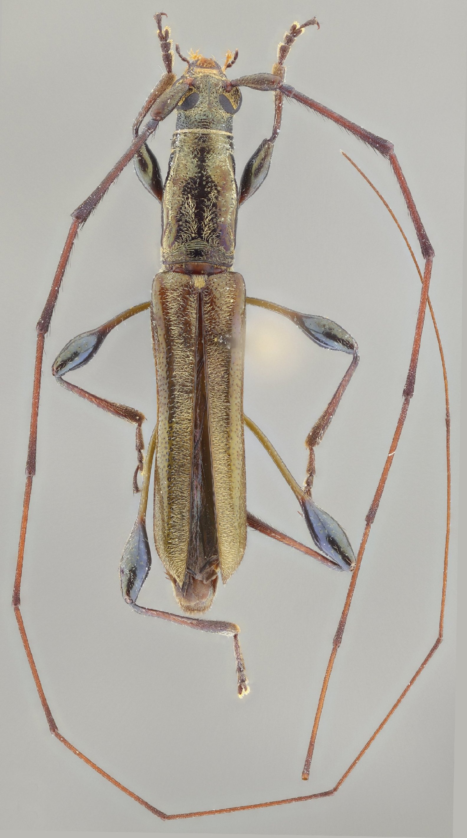
 Chevrolat MZSP Loja, Ecuador SS.jpg)
Sex: m Institution: MZSP Museu de Zoologia da Universidade de São Paulo, Brazil Photographer: Antonio Santos-Silva Collection Location: Loja, Ecuador 101600
|