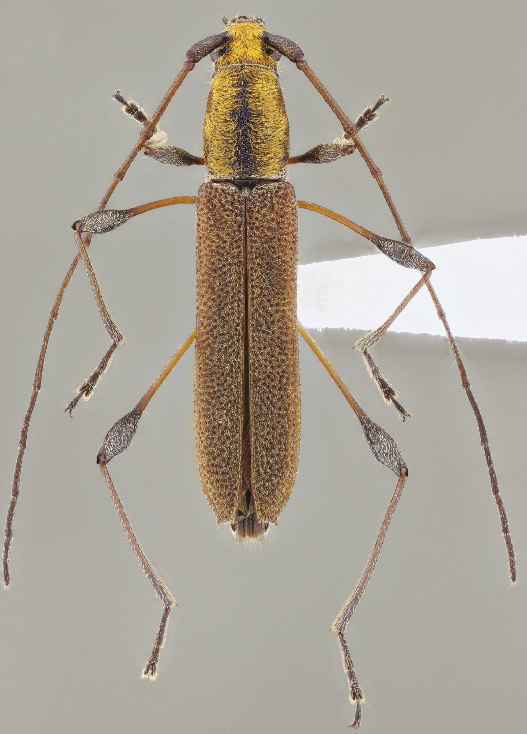
_Martins_and_Napp_MZSP_Jipijapa_Manabi_Ecuador.jpg)
Specimen Type: holotype Sex: m Institution: MZSP Museu de Zoologia da Universidade de São Paulo, Brazil Collection Location: Jipijapa, Manabi, Ecuador 27948
|
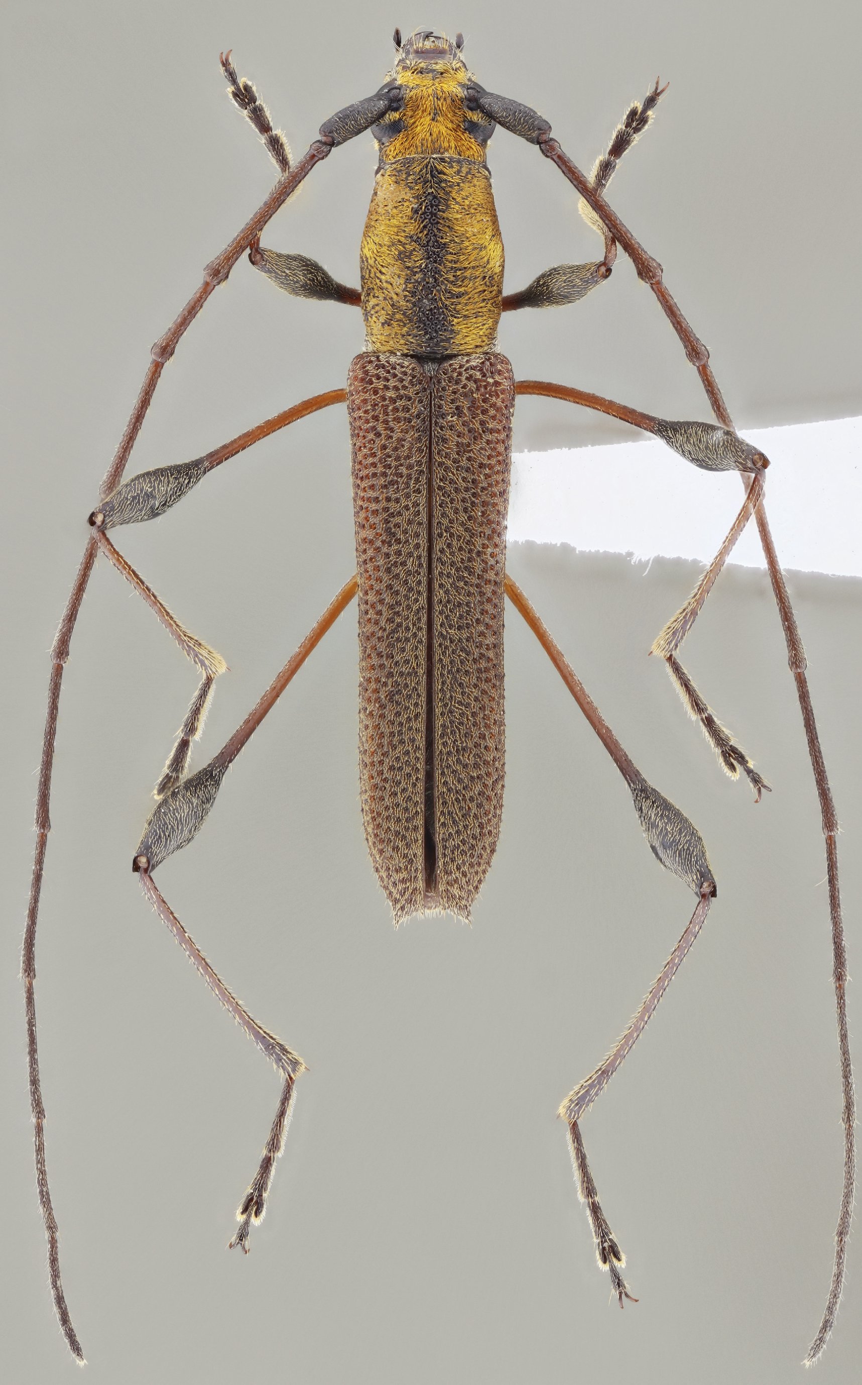
 Martins & Napp MZSP Jipijapa, Manabi, Ecuador SS.jpg)
Specimen Type: holotype Sex: f Institution: MZSP Museu de Zoologia da Universidade de São Paulo, Brazil Photographer: Antonio Santos-Silva Collection Location: Jipijapa-Manta, Manabi, Ecuador 23799
|
 Mart Napp MZSP Arenillas, El Oro, Ecuador.jpg)
Sex: m Institution: MZSP Museu de Zoologia da Universidade de São Paulo, Brazil Photographer: Antonio Santos-Silva Collection Location: Arenillas, El Oro, Ecuador 101626
|
 Mart Napp MZSP Arenillas, El Oro, Ecuador.jpg)
Sex: f Institution: MZSP Museu de Zoologia da Universidade de São Paulo, Brazil Photographer: Antonio Santos-Silva Collection Location: Arenillas, El Oro, Ecuador 101627
|
|