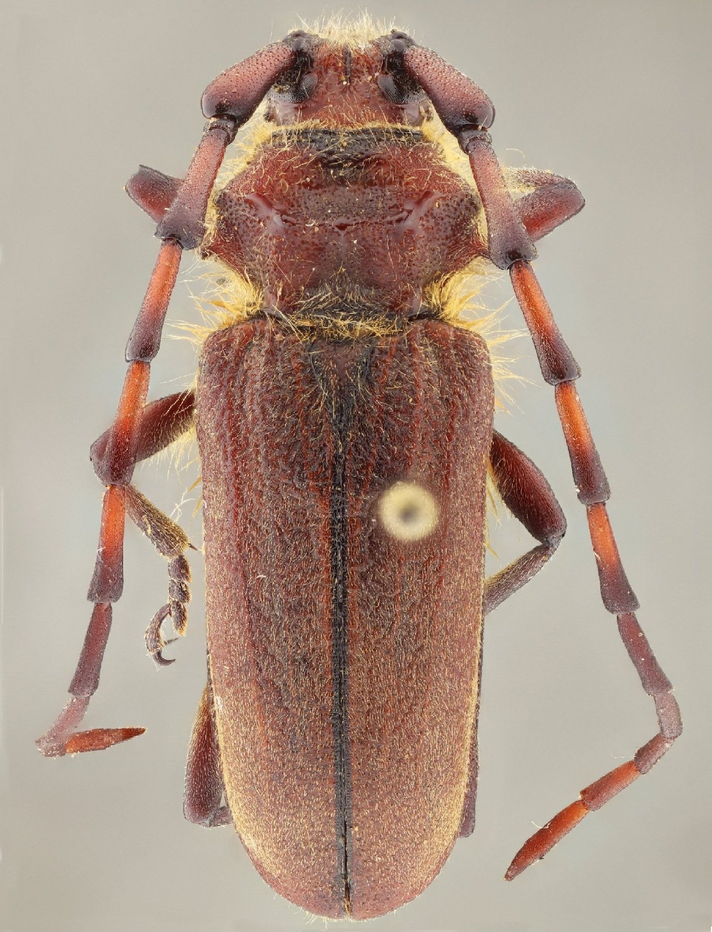
_Huedepohl_MZSP_Guayaquil_Guayas_Ecuador_SS.jpg)
Specimen Type: paratype Sex: m Institution: MZSP Museu de Zoologia da Universidade de São Paulo, Brazil Photographer: Antonio Santos-Silva Collection Location: Guayaquil, Guayas, Ecuador 101898
|
_Hued_MNRJ.jpg)
Specimen Type: paratype Institution: MNRJ Museu Nacional Universidade do Rio Janeiro, Brazil Photographer: Larry G. Bezark Collection Location: Guayaquil, Guayas, Ecuador 33270
|