_Bates_BMNH_Totonicapan_Guatemala_LGB.jpg)
Specimen Type: holotype Sex: f Institution: BMNH British Museum Natural History, London, UK Photographer: Larry G. Bezark Collection Location: Totonicapan, Guatemala 47397
|
_Bates_BMNH_Totonicapan_Guatemala_LGB.jpg)
Specimen Type: holotype Sex: f Institution: BMNH British Museum Natural History, London, UK Photographer: Larry G. Bezark Collection Location: Totonicapan, Guatemala 47398
|
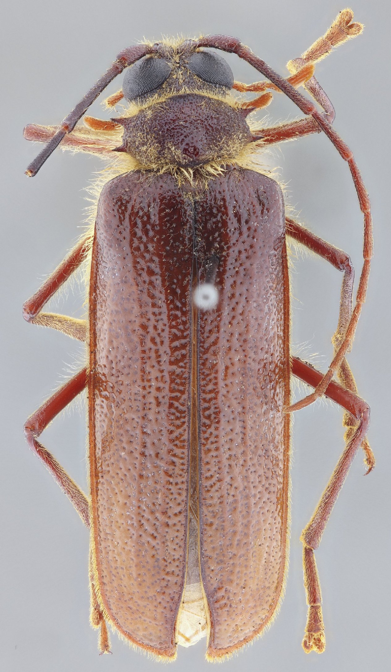
 Bates MZSP Guatemala SS.jpg)
Sex: m Institution: MZSP Museu de Zoologia da Universidade de São Paulo, Brazil Photographer: Antonio Santos-Silva Collection Location: Guatemala 100896
|
 Bates MZSP Guatemala SS.jpg)
Sex: m Institution: MZSP Museu de Zoologia da Universidade de São Paulo, Brazil Photographer: Antonio Santos-Silva Collection Location: Guatemala 100897
|

Institution: CAS California Academy of Sciences, San Francisco, CA, USA Photographer: Larry G. Bezark 14356
|

Photographer: Nathan P. Lord 42603
|
|