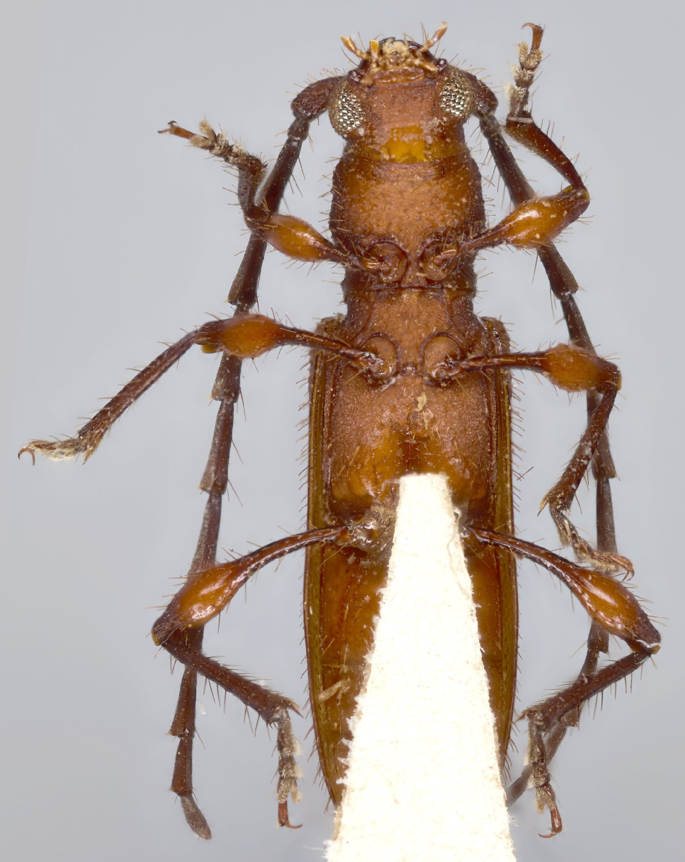
 Ferreira Mermudes MNHN Rio Caraguata, Mato Grosso do Sul, Brazil.jpg)
Specimen Type: holotype Sex: f Institution: NMNH United States National Museum, Washington, DC, USA Photographer: Gabriel Ferreira Collection Location: Rio Caraguata, Mato Grosso do Sul, Brazil 101429
|
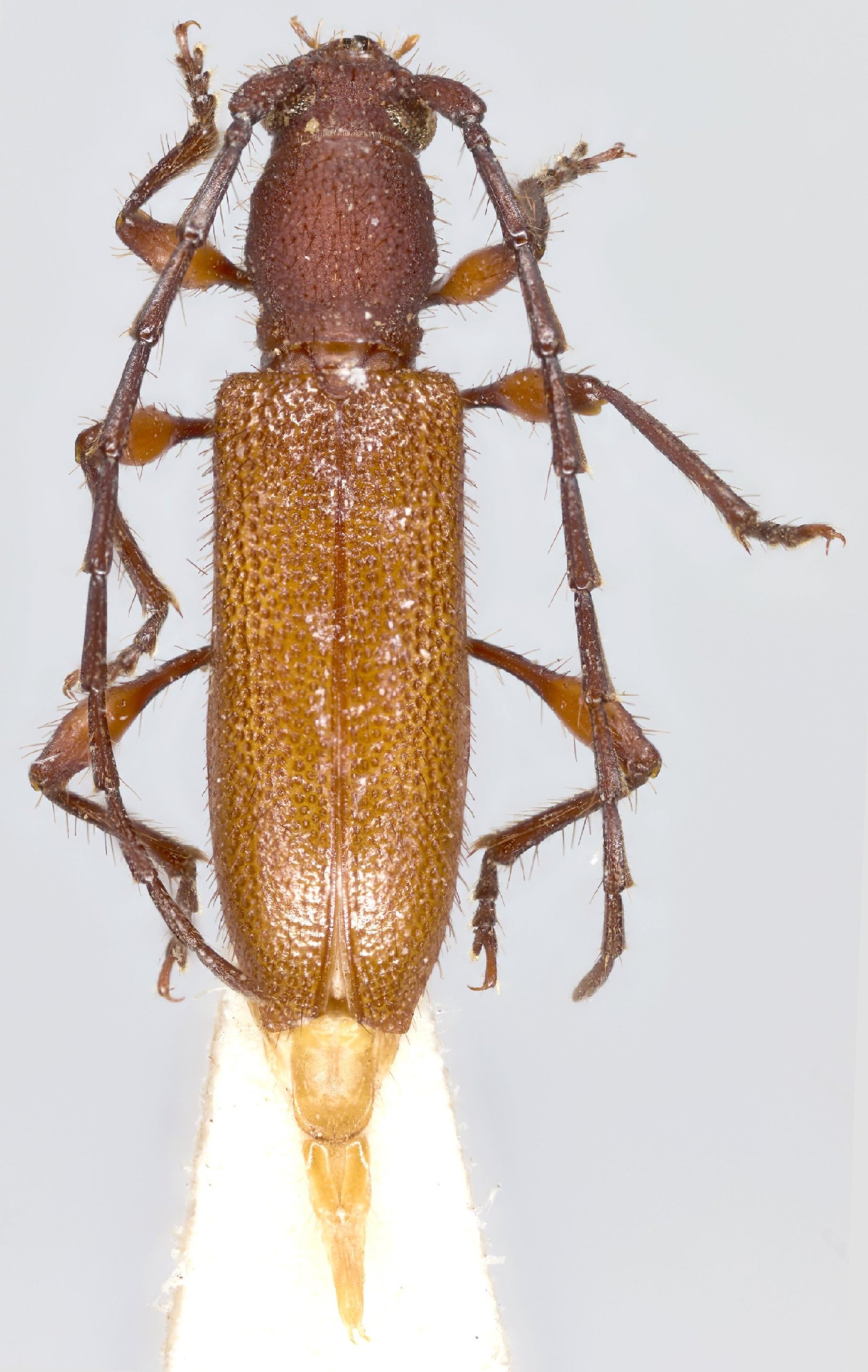
 Ferreira Mermudes MNHN Rio Caraguata, Mato Grosso do Sul, Brazil.jpg)
Specimen Type: holotype Sex: f Institution: NMNH United States National Museum, Washington, DC, USA Photographer: Gabriel Ferreira Collection Location: Rio Caraguata, Mato Grosso do Sul, Brazil 101430
|
 Ferreira Mermudes MNHN Rio Caraguata, Mato Grosso do Sul, Brazil.jpg)
Specimen Type: holotype Sex: f Institution: NMNH United States National Museum, Washington, DC, USA Photographer: Gabriel Ferreira Collection Location: Rio Caraguata, Mato Grosso do Sul, Brazil 101431
|
|