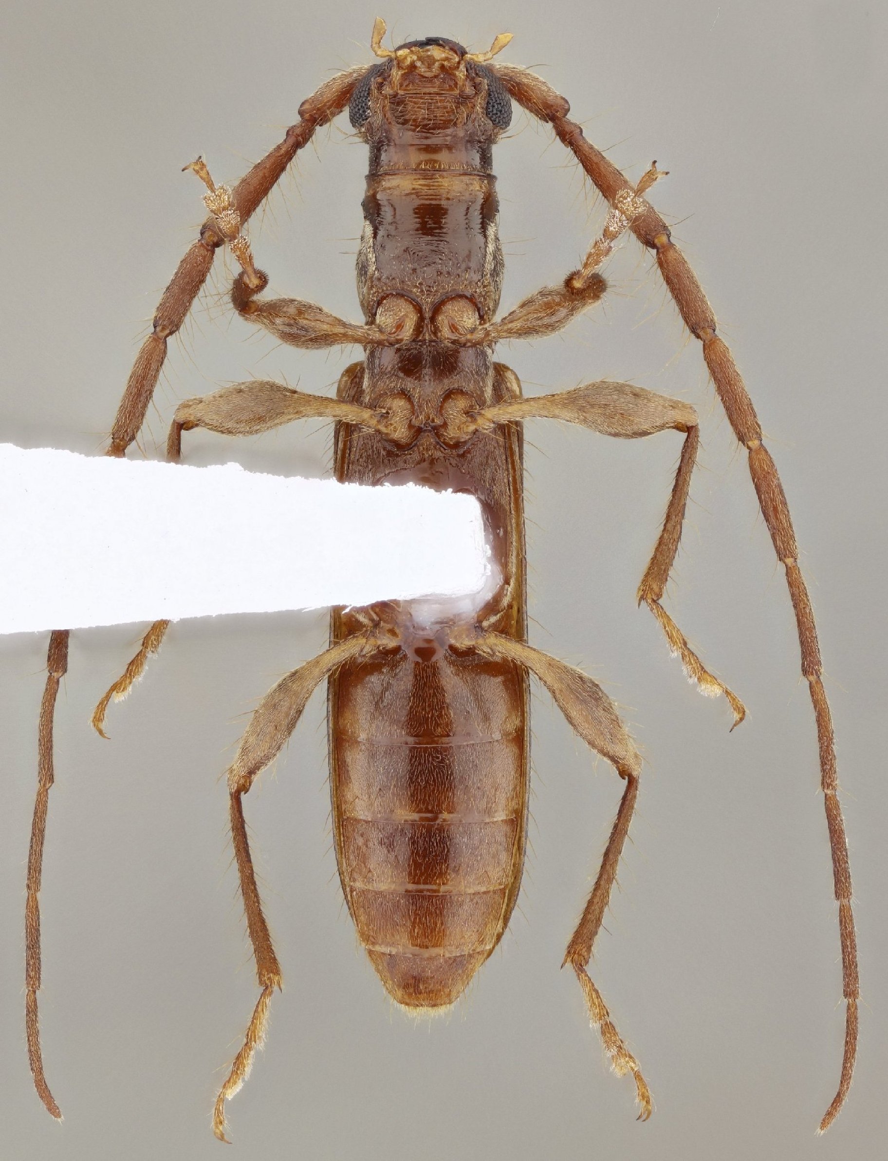
 Vlasak SS MZSP Vicinity Macara, Loja, Ecuador.jpg)
Specimen Type: holotype Sex: m Institution: MZSP Museu de Zoologia da Universidade de São Paulo, Brazil Photographer: Antonio Santos-Silva Collection Location: Vicinity of Macara, Loja, Ecuador 101590
|
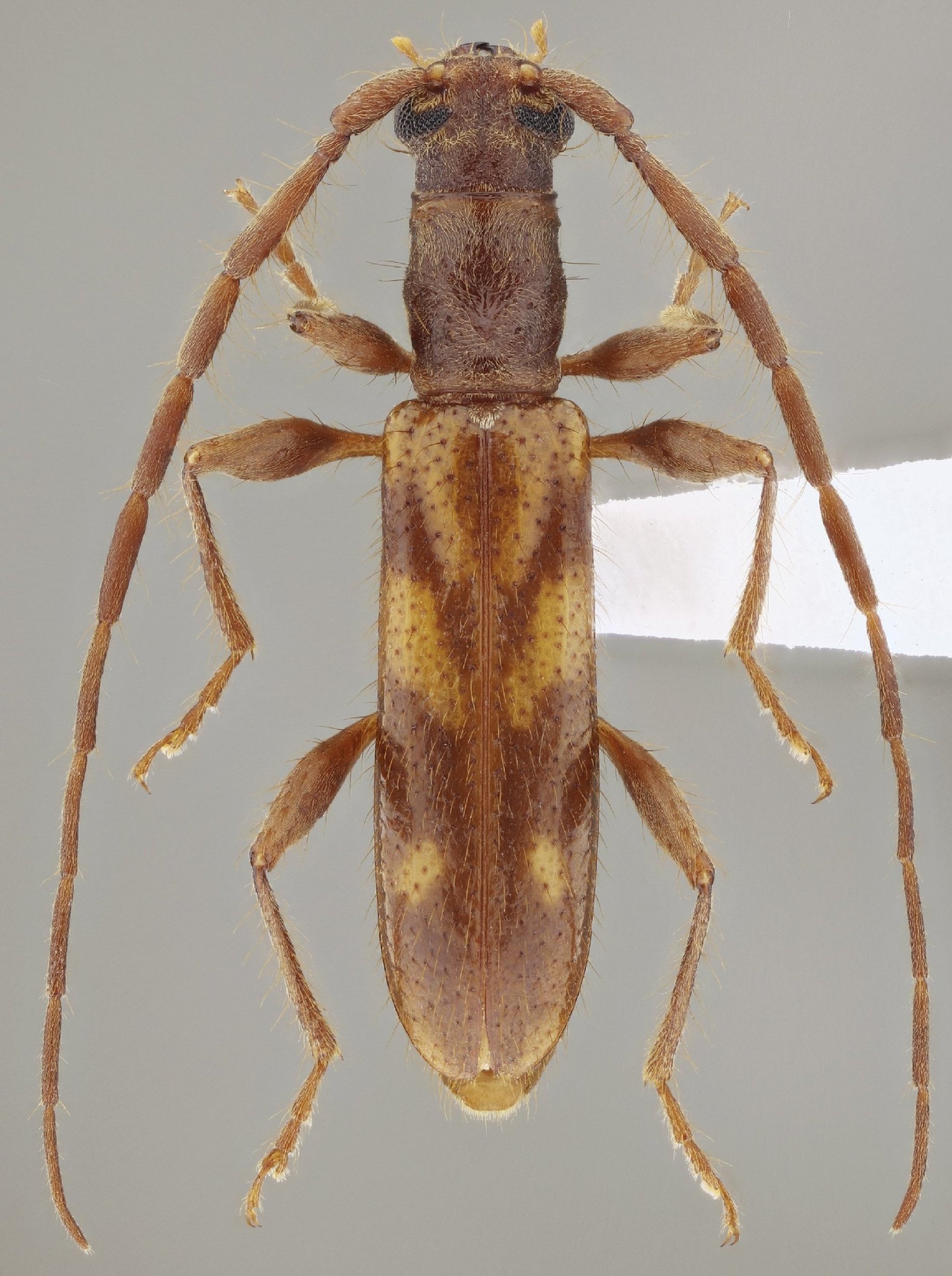
 Vlasak SS MZSP Vicinity Macara, Loja, Ecuador.jpg)
Specimen Type: holotype Sex: m Institution: MZSP Museu de Zoologia da Universidade de São Paulo, Brazil Photographer: Antonio Santos-Silva Collection Location: Vicinity of Macara, Loja, Ecuador 101591
|
 Vlasak SS MZSP Vicinity Macara, Loja, Ecuador.jpg)
Specimen Type: holotype Sex: m Institution: MZSP Museu de Zoologia da Universidade de São Paulo, Brazil Photographer: Antonio Santos-Silva Collection Location: Vicinity of Macara, Loja, Ecuador 101592
|
 Vlasak SS MZSP Vicinity Macara, Loja, Ecuador.jpg)
Specimen Type: holotype Sex: m Institution: MZSP Museu de Zoologia da Universidade de São Paulo, Brazil Photographer: Antonio Santos-Silva Collection Location: Vicinity of Macara, Loja, Ecuador 101593
|
|