New Search Family, Subfamily and Tribe List

SubFamily Cerambycinae

Tribe Elaphidiini
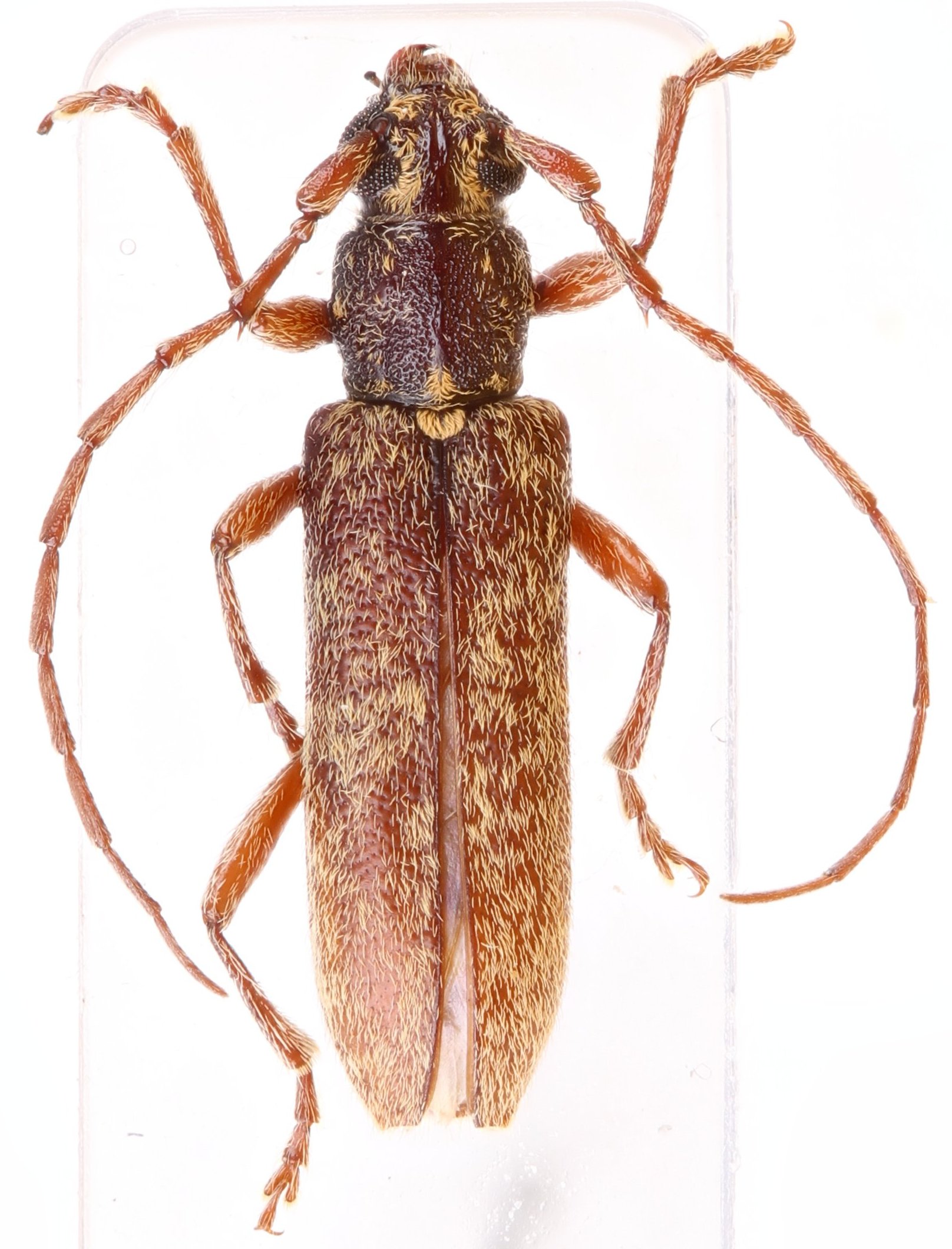
Anelaphus gauthieri Audureau 2025

Specimen Type: holotype
Sex: f
Institution: Audureau Collection
Photographer: Alain Audureau
Collection Location: Mt Totumas, Chiriqui, Panama
102696

130425