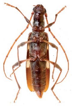
 Audureau Coll Mt Totumas, Chiriqui, Panama2.jpg)
Specimen Type: holotype Sex: f Institution: Audureau Collection Photographer: Alain Audureau Collection Location: Mt Totumas, Chiriqui, Panama 102677
|
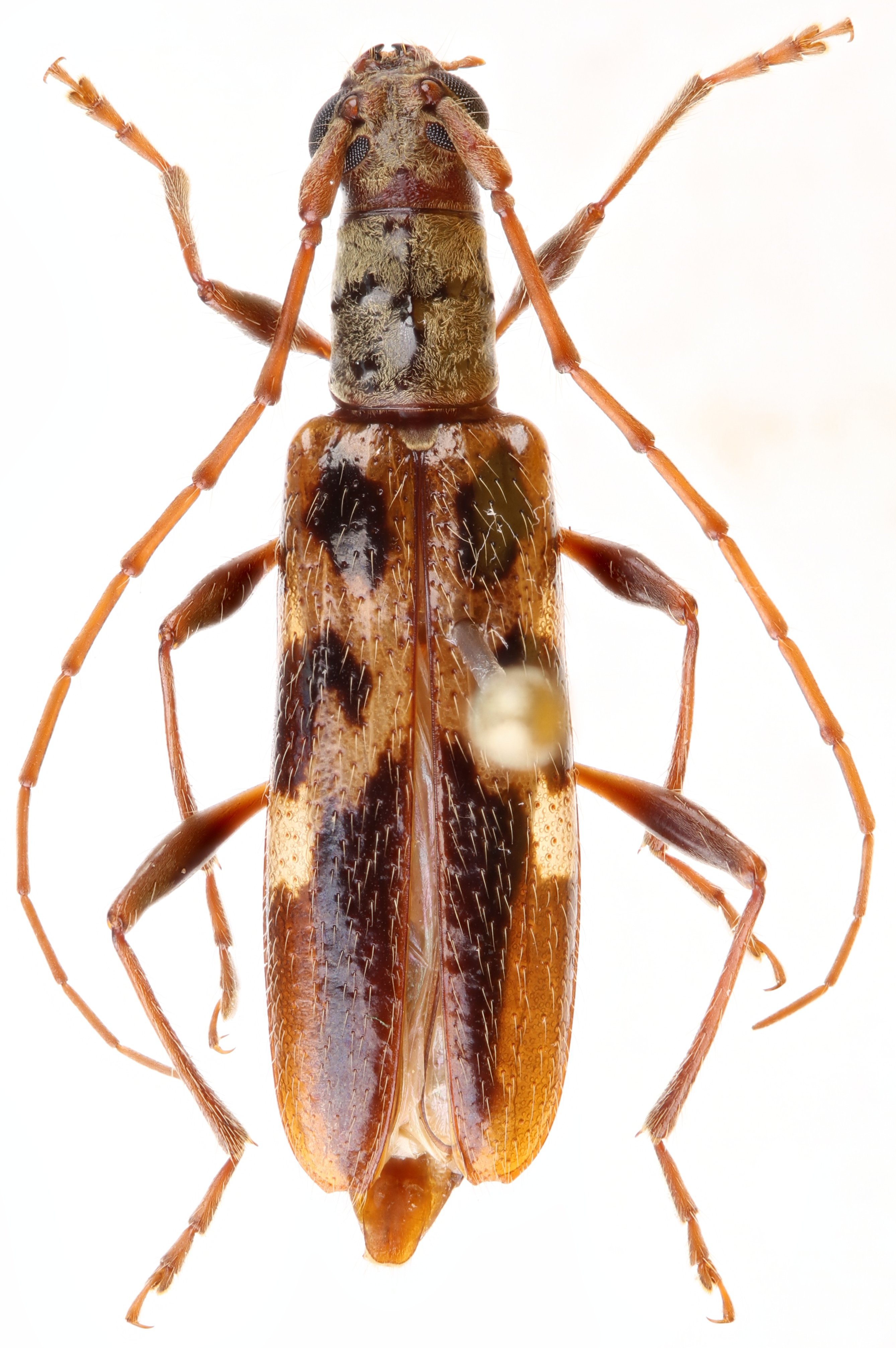
 Audureau Coll Mt Totumas, Chiriqui, Panama.jpg)
Specimen Type: holotype Sex: f Institution: Audureau Collection Photographer: Alain Audureau Collection Location: Mt Totumas, Chiriqui, Panama 102678
|