 Aud Tava MNHN Montagne Tortue, Approuague, French Guiana.jpg)
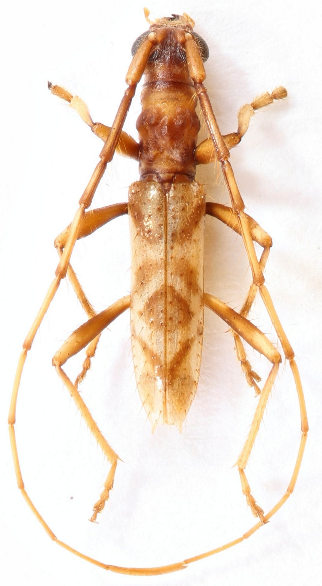
Specimen Type: holotype Sex: m Institution: MNHN Museum of Natural History Paris, France Photographer: Alain Audureau Collection Location: Montagne Tortue, Approuague, French Guiana 102673
|
 Aud Tava MNHN Montagne Tortue, Approuague, French Guiana.jpg)
Specimen Type: holotype Sex: m Institution: MNHN Museum of Natural History Paris, France Photographer: Alain Audureau Collection Location: Montagne Tortue, Approuague, French Guiana 102674
|