 Aud Tava MNHN pk 40 Route de Kaw, French Guiana.jpg)
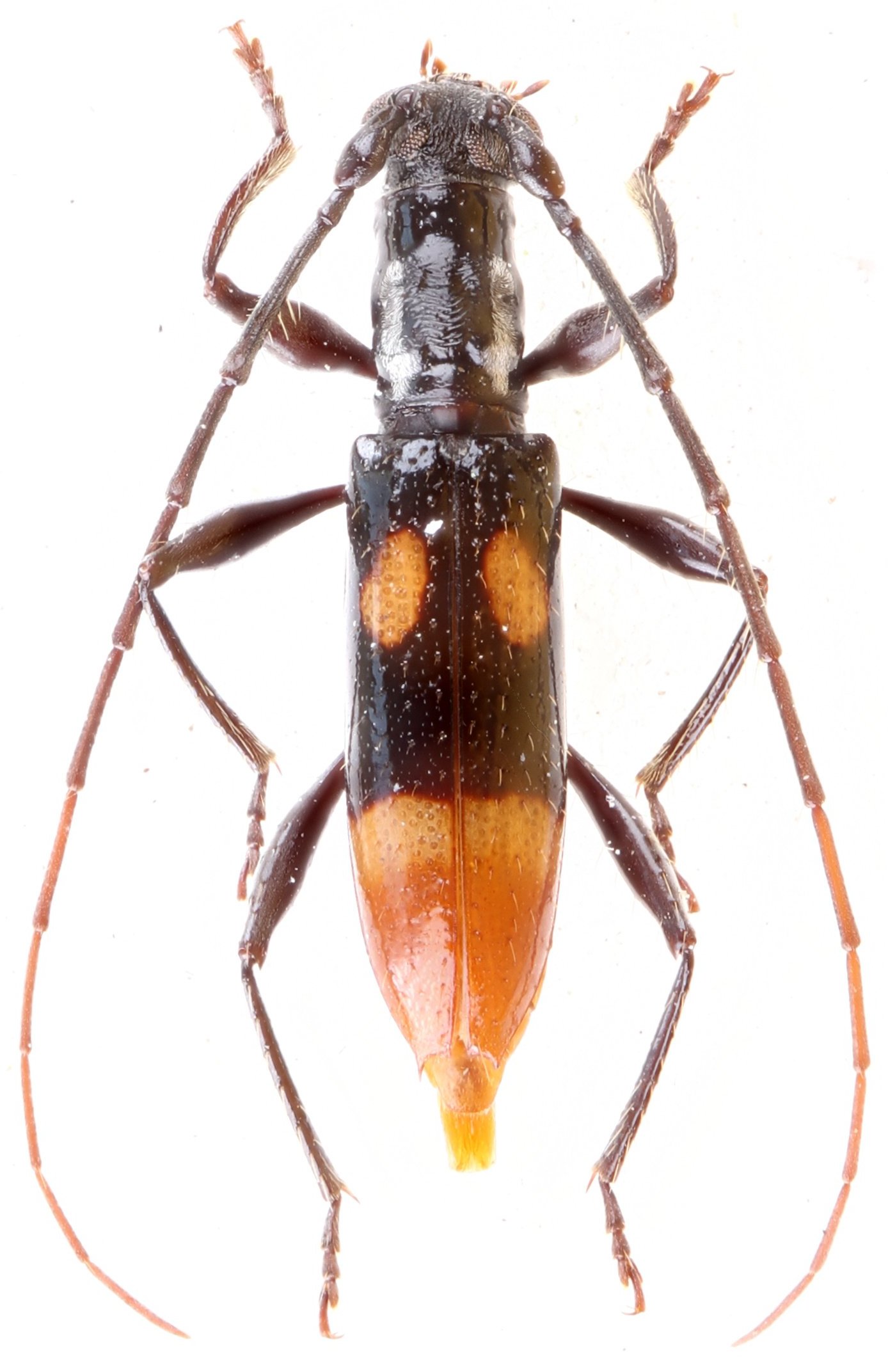
Specimen Type: holotype Sex: m Institution: MNHN Museum of Natural History Paris, France Photographer: Alain Audureau Collection Location: pk 40 Route de Kaw, French Guiana 102686
|
 Aud Tava MNHN pk 40 Route de Kaw, French Guiana.jpg)
Specimen Type: holotype Sex: m Institution: MNHN Museum of Natural History Paris, France Photographer: Alain Audureau Collection Location: pk 40 Route de Kaw, French Guiana 102687
|