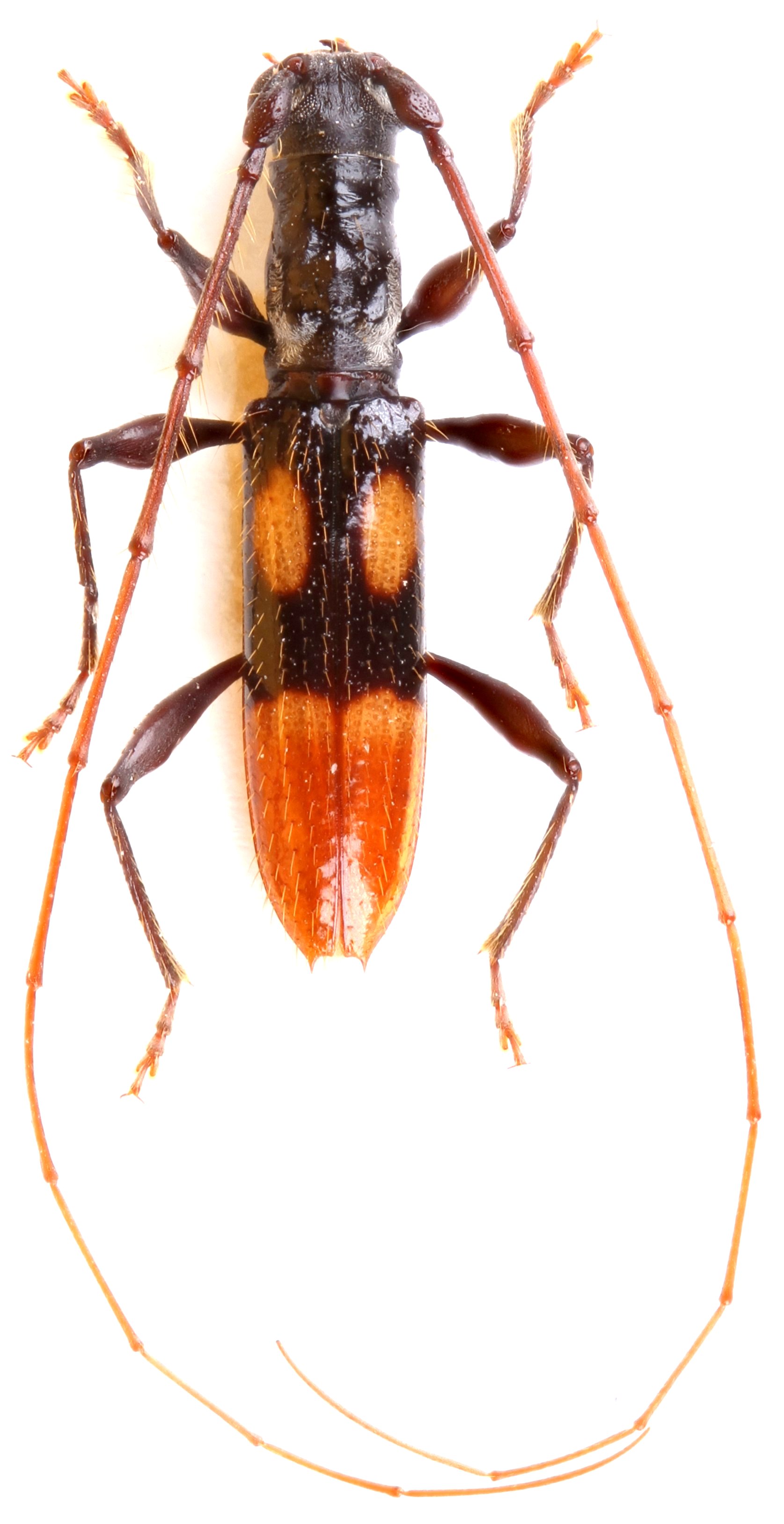
 Aud Tava MNHN Montagne des singes, French Guiana.jpg)
Specimen Type: holotype Sex: m Institution: MNHN Museum of Natural History Paris, France Photographer: Alain Audureau Collection Location: Montagne des singes, French Guiana 102689
|
 Aud Tava MNHN Montagne des singes, French Guiana.jpg)
Specimen Type: holotype Sex: m Institution: MNHN Museum of Natural History Paris, France Photographer: Alain Audureau Collection Location: Montagne des singes, French Guiana 102690
|