 DZRJ Picinguaba Ubatuba, Sao Paolo, Brazil Jose Mermudes pic.jpg)
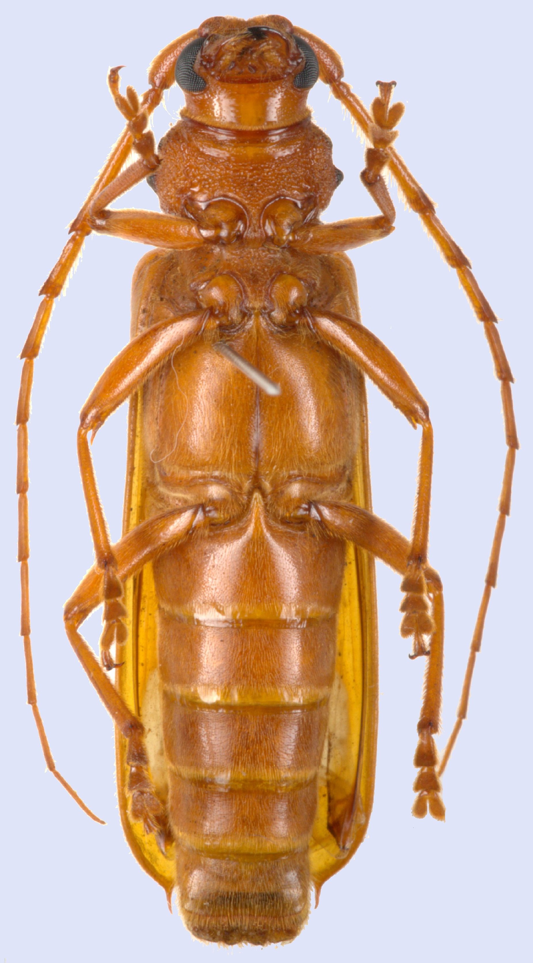
Specimen Type: holotype Sex: f Institution: Dutra Collection, Rio de Janiero, Brazil Photographer: Jose Mermudes Collection Location: Picinguaba (Ubatuba), Sao Paolo, Brazil 102710
|

Specimen Type: holotype Sex: f Institution: Dutra Collection, Rio de Janiero, Brazil Photographer: Gabriel Ferreria Collection Location: Picinguaba (Ubatuba), Sao Paolo, Brazil 102711
|
 DZRJ Picinguaba Ubatuba, Sao Paolo, Brazil Jose Mermudes pic.jpg)
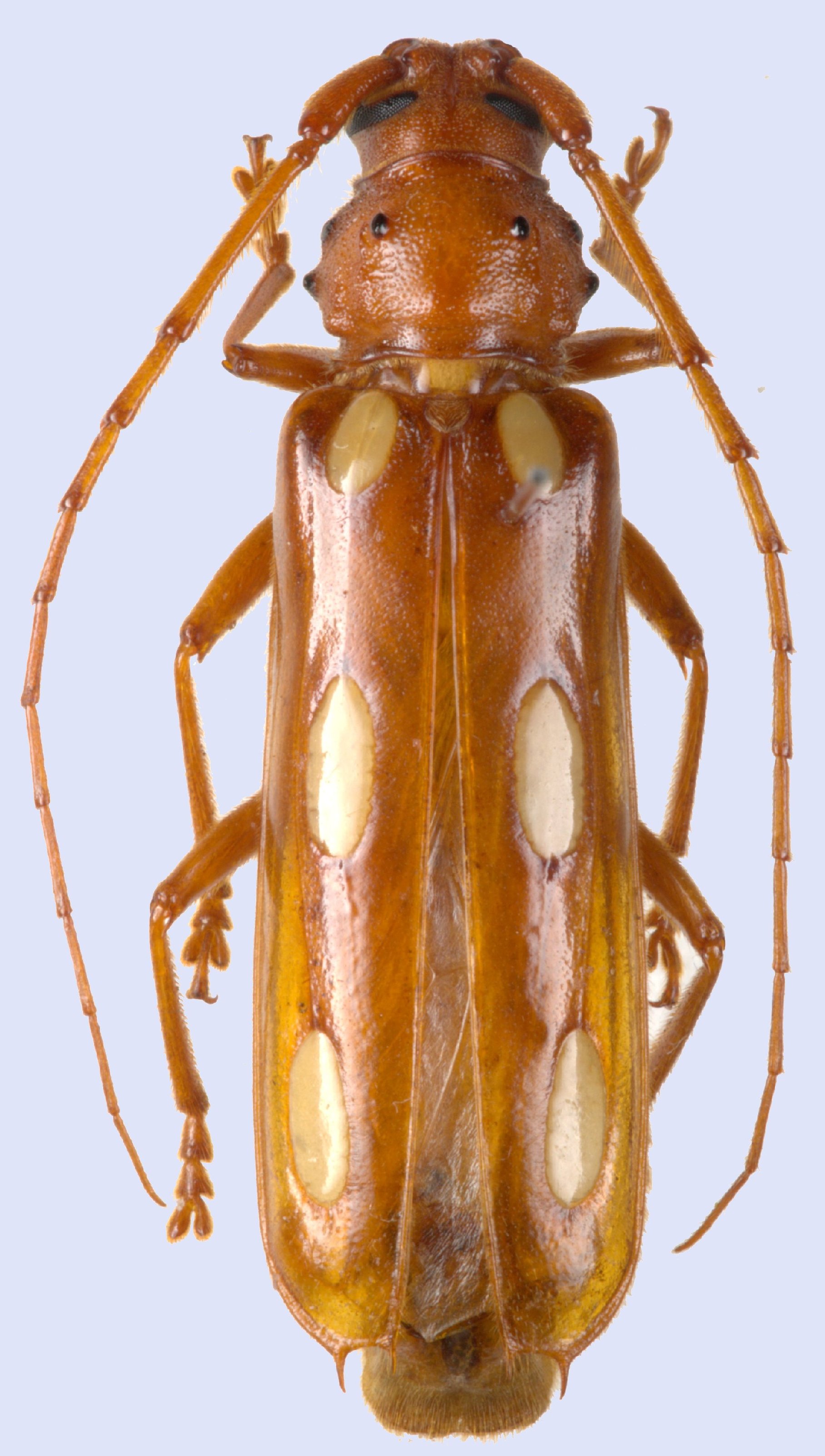
Specimen Type: holotype Sex: f Institution: Dutra Collection, Rio de Janiero, Brazil Photographer: Jose Mermudes Collection Location: Picinguaba (Ubatuba), Sao Paolo, Brazil 102712
|
 DZRJ Picinguaba Ubatuba, Sao Paolo, Brazil Jose Mermudes pic.jpg)
Specimen Type: holotype Sex: f Institution: Dutra Collection, Rio de Janiero, Brazil Photographer: Jose Mermudes Collection Location: Picinguaba (Ubatuba), Sao Paolo, Brazil 102713
|
|