 Bates BMNH Aceituno, Guatemala Moure.jpg)
Pterichyta furfulicauda Bates Specimen Type: lectotype Institution: BMNH British Museum Natural History, London, UK Photographer: JS Moure Collection Location: Aceituno, Guatemala 80697
|
_Bates_BMNH_nowAdetus_Aceituno_Guat_LGB.jpg)
Pterichthya furfulicauda Bates Specimen Type: lectotype Sex: m? Institution: BMNH British Museum Natural History, London, UK Photographer: Larry G. Bezark Collection Location: Aceituno, Guatemala 47259
|
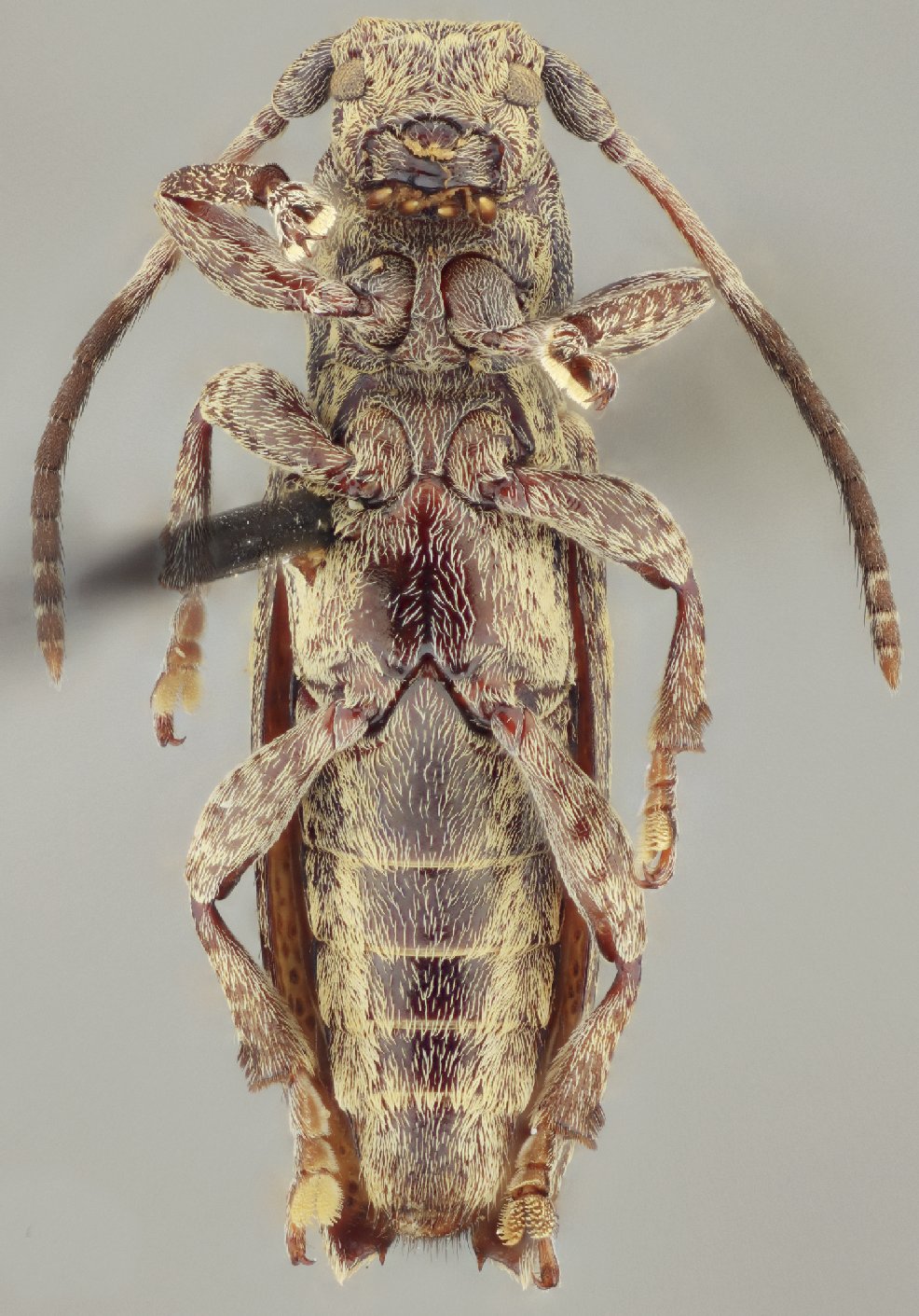
 (Bates) MZSP Finca Los Pirineos, Quetzaltenango, Guatemala SS.jpg)
Sex: m Institution: MZSP Museu de Zoologia da Universidade de São Paulo, Brazil Photographer: Antonio Santos-Silva Collection Location: Finca Los Pirineos, Quetzaltenango, Guatemala 101332
|
 (Bates) MZSP Finca Los Pirineos, Quetzaltenango, Guatemala SS.jpg)
Sex: m Institution: MZSP Museu de Zoologia da Universidade de São Paulo, Brazil Photographer: Antonio Santos-Silva Collection Location: Finca Los Pirineos, Quetzaltenango, Guatemala 101333
|
_BCA.jpg)
Institution: BCA Biologia Centrali Americana 3901
|
_Det_Chemsak_Guatemala_UCB.jpg)
Institution: UCB Essig Museum of Entomology, Berkeley, California, USA Photographer: Larry G. Bezark Determiner: John Chemsak Collection Location: Guatemala 3902
|
|