New Search Family, Subfamily and Tribe List
new world both worldsboth worlds old world
Family Cerambycinae
SubFamily Cerambycinae
Tribe Trachyderini Trachyderina

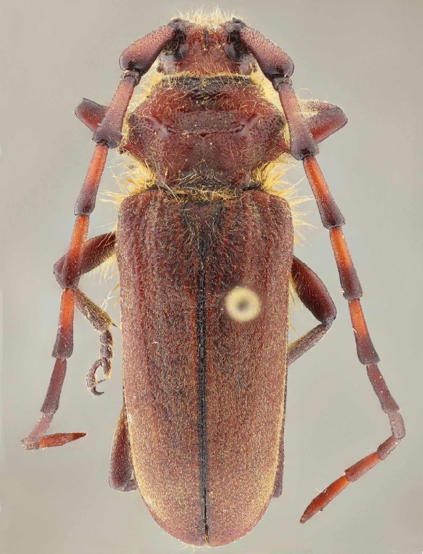
Genus Deretrachys


Deretrachys
chilensis


Deretrachys
juvencus


Deretrachys
montanus


Deretrachys
pellitus
pellitus


Deretrachys
pellitus
meridionalis

Deretrachys
villiersi
 
130503