New Search Family, Subfamily and Tribe List
new world both worldsboth worlds old world
Family Prioninae
SubFamily Prioninae
Tribe Prionini

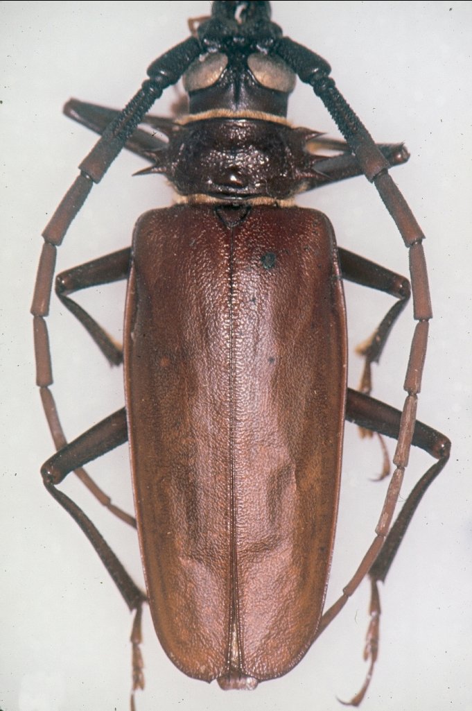
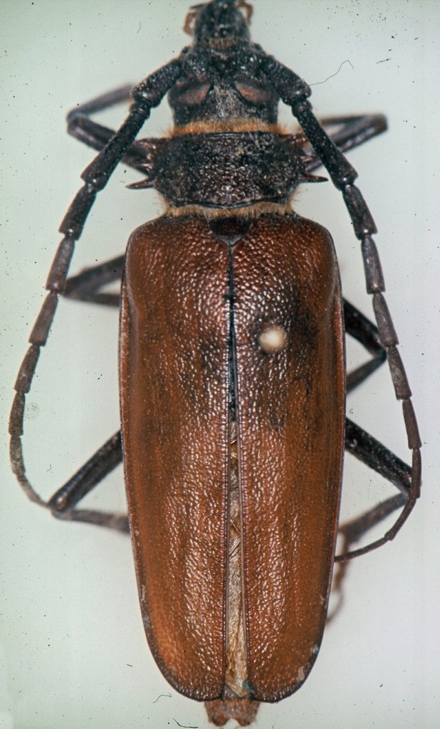
Genus Derobrachus


Derobrachus
agyleus


Derobrachus
apterus


Derobrachus
asperatus


Derobrachus
brevicollis


Derobrachus
chemsaki


Derobrachus
cusucoensis


Derobrachus
digueti


Derobrachus
dohrni


Derobrachus
drumonti


Derobrachus
geminatus


Derobrachus
granulatus


Derobrachus
hovorei


Derobrachus
inaequalis


Derobrachus
leechi


Derobrachus
lingafelteri


Derobrachus
longicornis


Derobrachus
megacles


Derobrachus
moroni


Derobrachus
procerus


Derobrachus
smithi


Derobrachus
sulcicornis


Derobrachus
thomasi


Derobrachus
wappesi

130503