New Search Family, Subfamily and Tribe List
new world both worldsboth worlds old world
Family Cerambycinae
SubFamily Cerambycinae
Tribe Tropidini Compsina

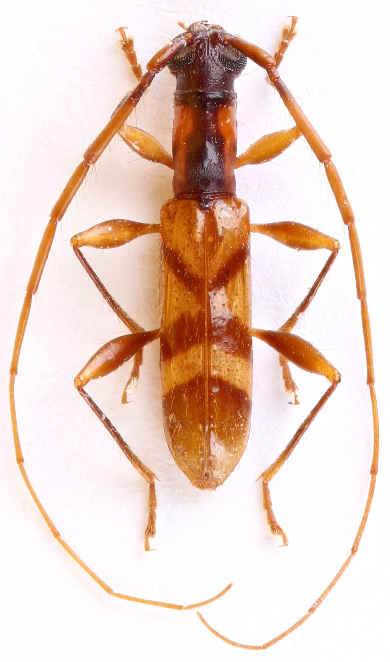
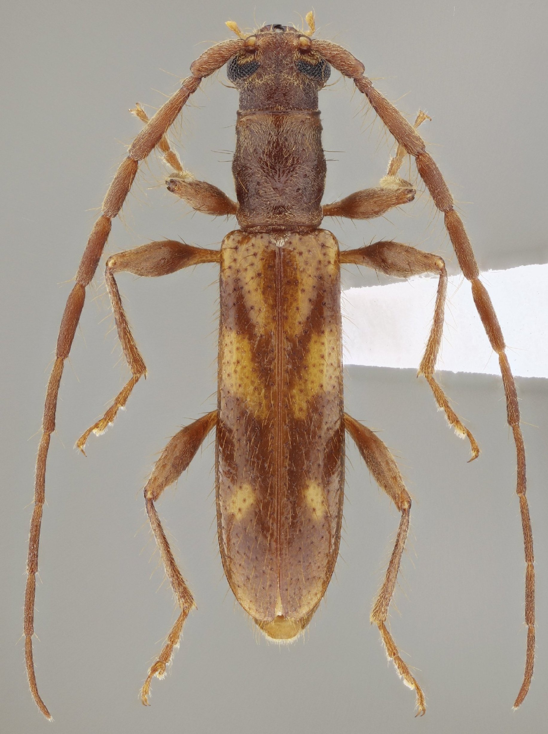
Genus Pygmodeon


Pygmodeon
andreae


Pygmodeon
boreale


Pygmodeon
buscki


Pygmodeon
cribripenne


Pygmodeon
ditelum


Pygmodeon
excelsum


Pygmodeon
guyanense


Pygmodeon
incertum


Pygmodeon
involutum


Pygmodeon
latevittatum


Pygmodeon
m-littera


Pygmodeon
mutabile


Pygmodeon
obscurum


Pygmodeon
obtusum


Pygmodeon
puniceum


Pygmodeon
staurotum


Pygmodeon
validicorne


Pygmodeon
xyleus

130503