New Search Family, Subfamily and Tribe List
new world both worldsboth worlds old world
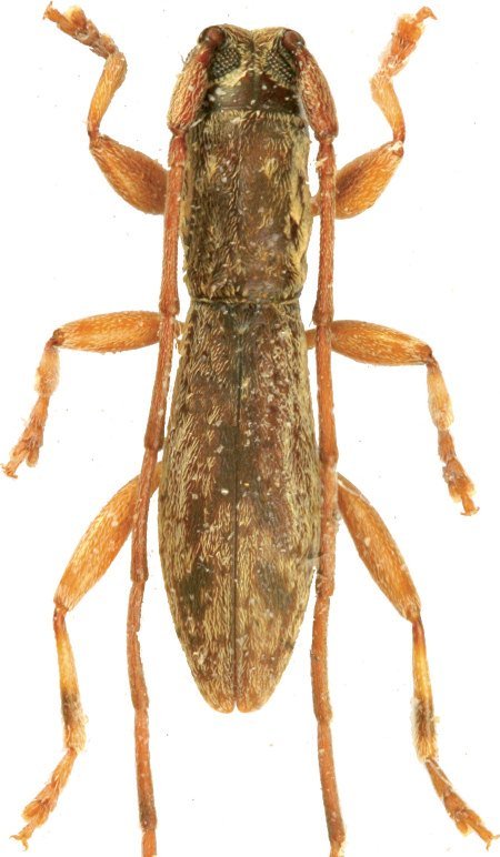
Family Lamiinae
SubFamily Lamiinae
Tribe Parmenini

Genus Coresthetopsis


Coresthetopsis
arachne


Coresthetopsis
proxima

130503